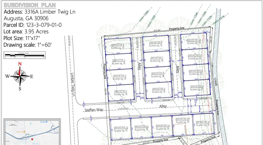
3316a Limber Twig Lane, Augusta, GA 30906
Local realty services provided by:Better Homes and Gardens Real Estate Elliott Coastal Living
3316a Limber Twig Lane,Augusta, GA 30906
$195,000
- 0 Acres
- Lots / Land
- Active
Listed by:daniel demers
Office:sell your home services
MLS#:545852
Source:NC_CCAR
Price summary
- Price:$195,000
About this home
This 3.95-acre parcel located at 3316A Limber Twig Ln. presents a unique investment opportunity with flexible zoning, level lot, paved access, No flood zone per Richmond county GIS map, utilities available, public sewer, No HOA. Allowing for both residential and limited commercial use. Perfect opportunity for an investor/developer. This lot is about a 10 minute drive to National Golf Club and the Medical District as well as Downtown Augusta and 5 minute drive to Augusta Regional Airport. Per seller, proposed 17-lot subdivision site plan, included with this listing, has already been reviewed and deemed compliant.
Price reduced for quick sale.
Contact an agent
Home facts
- Listing ID #:545852
- Added:15 day(s) ago
- Updated:November 01, 2025 at 10:20 AM
Schools
- High school:Butler Comp.
- Middle school:Richmond Hill K-8
- Elementary school:Richmond Hill K-8
Finances and disclosures
- Price:$195,000
New listings near 3316a Limber Twig Lane
- New
$104,900Active3 beds 2 baths1,080 sq. ft.1017 Stevens Creek Road, Augusta, GA 30907
MLS# 548841Listed by: RE/MAX TRUE ADVANTAGE - New
$269,900Active3 beds 2 baths1,627 sq. ft.2608 National Woods Drive, Augusta, GA 30904
MLS# 548839Listed by: SOUTHEASTERN RESIDENTIAL, LLC - New
$168,900Active3 beds 2 baths1,074 sq. ft.2327 Rutherford Avenue, Augusta, GA 30906
MLS# 548840Listed by: RE/MAX REINVENTED - New
$165,900Active3 beds 2 baths1,325 sq. ft.2528 Georgetown Drive, Augusta, GA 30906
MLS# 548836Listed by: EXP REALTY, LLC - New
$425,000Active4 beds 4 baths3,654 sq. ft.5316 Bull Street, Augusta, GA 30909
MLS# 548832Listed by: RE/MAX TRUE ADVANTAGE - New
$20,000Active0 Acres3028 Brighton Street, Augusta, GA 30906
MLS# 548820Listed by: VANDERMORGAN REALTY - New
$180,000Active2 beds 2 baths1,092 sq. ft.46 Charlestowne Drive, Augusta, GA 30907
MLS# 548796Listed by: BERKSHIRE HATHAWAY HOMESERVICES BEAZLEY REALTORS - New
$165,000Active2 beds 3 baths1,248 sq. ft.3130 Village West Drive, Augusta, GA 30907
MLS# 548786Listed by: RE/MAX TRUE ADVANTAGE - New
$159,900Active3 beds 2 baths1,560 sq. ft.2103 Pepperidge Drive, Augusta, GA 30906
MLS# 10634673Listed by: Meybohm LLC - New
$85,000Active3 beds 1 baths1,025 sq. ft.2475 Reese Avenue, Augusta, GA 30906
MLS# 548782Listed by: CENTURY 21 JEFF KELLER REALTY