TBD (Lot 1) Reams Road, Gentry, AR 72734
Local realty services provided by:Better Homes and Gardens Real Estate Journey
Listed by: the limbird team
Office: limbird real estate group
MLS#:1342951
Source:AR_NWAR
Price summary
- Price:$200,000
About this home
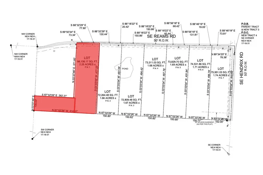
Just 2 miles from XNA Airport, this 2.25-acre parcel sits at the southwest corner of Hendrix and Reams Road in Gentry, offering paved road frontage. Please note: a lot split is currently in progress on the larger 12.4-acre tract, which is also available to purchase as a whole. This listing is specifically for the L-shaped lot as identified in the attached survey and shown in the listing photos. The land is cleared and gently rolling, with electric, gas, and public water at the street — and the property has already perked for septic. Whether you're building your dream home or an investment property, this is a turnkey-ready lot in one of NW Arkansas's fastest-growing corridors. Refer to survey for exact boundaries. There will be restrictions provided by the Seller along with an approved Builder.
Contact an agent
Home facts
- Listing ID #:1342951
- Added:3 day(s) ago
- Updated:April 26, 2026 at 02:21 PM
Structure and exterior
- Lot area:2.25 Acres
- Lot Features:Cleared, Not In Subdivision, Rolling Slope, Stream/Creek
Utilities
- Water:Public
- Sewer:Septic Needed
Finances and disclosures
- Price:$200,000
- Tax amount:$616
New listings near TBD (Lot 1) Reams Road
- Open Sun, 12 to 1:30pmNew
$304,900Active4 beds 2 baths1,706 sq. ft.280 Wilson Drive, Gentry, AR 72734
MLS# 1344253Listed by: ROOTS REAL ESTATE GROUP - New
$295,000Active4 beds 2 baths1,704 sq. ft.613 S Smith Avenue, Gentry, AR 72734
MLS# 1344139Listed by: EXIT TAYLOR REAL ESTATE - New
$319,000Active4 beds 2 baths1,944 sq. ft.806 Comanche Drive, Gentry, AR 72734
MLS# 1344013Listed by: REMAX REAL ESTATE RESULTS - Open Sun, 1 to 3pmNew
$900,000Active5 beds 5 baths2,121 sq. ft.9207 and 9209 Coker Road, Gentry, AR 72734
MLS# 1342739Listed by: VIRIDIAN REAL ESTATE - New
$175,000Active1.66 AcresTBD (Lot 2) Reams Road, Gentry, AR 72734
MLS# 1343803Listed by: LIMBIRD REAL ESTATE GROUP - New
$175,000Active1.67 AcresTBD (Lot 3) Reams Road, Gentry, AR 72734
MLS# 1343805Listed by: LIMBIRD REAL ESTATE GROUP - New
$175,000Active1.68 AcresTBD (Lot 4) Reams Road, Gentry, AR 72734
MLS# 1343810Listed by: LIMBIRD REAL ESTATE GROUP - New
$175,000Active1.69 AcresTBD (Lot 5) Reams Road, Gentry, AR 72734
MLS# 1343811Listed by: LIMBIRD REAL ESTATE GROUP - New
$175,000Active1.71 AcresTBD (Lot 6) Reams Road, Gentry, AR 72734
MLS# 1343817Listed by: LIMBIRD REAL ESTATE GROUP
$1,050,000Active12.4 AcresTBD (Lots 1-7) Reams Road, Gentry, AR 72734
MLS# 1342852Listed by: LIMBIRD REAL ESTATE GROUP