15249 E Mustang Drive #C, Fountain Hills, AZ 85268
Local realty services provided by:Better Homes and Gardens Real Estate S.J. Fowler
15249 E Mustang Drive #C,Fountain Hills, AZ 85268
$265,000
- 0.6 Acres
- Lots / Land
- Active
Listed by: zehira g dadon-sitbon
Office: homesmart
MLS#:7015104
Source:ARMLS
Price summary
- Price:$265,000
- Monthly HOA dues:$47.92
About this home
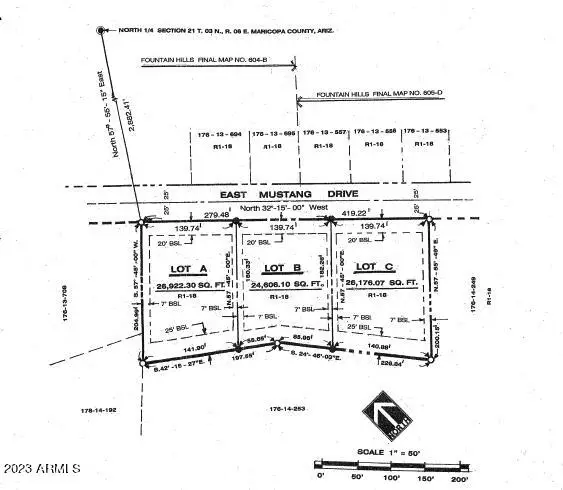
One out of 3 adjacent lots with magnificent Views in Westridge Estate. This lot offers an unmatched canvas for your vision of desert luxury living. With an impressive 140 feet of frontage along Mustang Dr. this parcel calls developers and dreamers alike to bring their architectural aspirations to life. With its generous size and prime location, you can envision luxurious homes that take full advantage of the incredible views and the tranquility of the surrounding desert. The property backed to a sprawling wash area with majestic Saguaros and native desert flora, provides a chance to enjoy the beauty of the Sonoran Desert right in your backyard. This is your chance to be a part of Fountain Hills, a picturesque community known for its outdoor recreational opportunities, world-class golf, excellent schools, and a vibrant arts scene. Whether you are a developer or an individual with a dream, this vacant lot offers a wealth of possibilities. Very easy access to Shea and city center. Create your perfect desert haven here and savor the beauty of Arizona's natural landscape every day. See listing for the other lots:7015079, 7015111, 7015120...
Contact an agent
Home facts
- Listing ID #:7015104
- Updated:April 24, 2026 at 03:13 PM
Structure and exterior
- Lot area:0.6 Acres
- Lot Features:Adjacent To Wash
Schools
- High school:Fountain Hills High School
- Middle school:Fountain Hills Middle School
Utilities
- Sewer:Sewer Available
Finances and disclosures
- Price:$265,000
- Tax amount:$514 (2023)
New listings near 15249 E Mustang Drive #C
- New
$1,350,000Active4 beds 3 baths2,507 sq. ft.10228 N Nicklaus Drive, Fountain Hills, AZ 85268
MLS# 7018436Listed by: EXP REALTY - New
$350,000Active1.04 Acres15752 N Mountain Parkway #223, Fountain Hills, AZ 85268
MLS# 7018357Listed by: GRIGG'S GROUP POWERED BY THE ALTMAN BROTHERS - New
$545,000Active3 beds 2 baths1,267 sq. ft.14637 N Olympic Way, Fountain Hills, AZ 85268
MLS# 7018269Listed by: KELLER WILLIAMS INTEGRITY FIRST - New
$680,000Active3 beds 2 baths1,784 sq. ft.17101 E Malta Drive, Fountain Hills, AZ 85268
MLS# 7018306Listed by: BLUEBIRD REALTY - New
$350,000Active1.3 Acres15711 N Javelina Trail #221, Fountain Hills, AZ 85268
MLS# 7018343Listed by: GRIGG'S GROUP POWERED BY THE ALTMAN BROTHERS - New
$275,000Active1 beds 1 baths703 sq. ft.10401 N Saguaro Boulevard #213, Fountain Hills, AZ 85268
MLS# 7018349Listed by: COLDWELL BANKER REALTY - New
$350,000Active1.34 Acres15810 N Mountain Parkway #222, Fountain Hills, AZ 85268
MLS# 7018355Listed by: GRIGG'S GROUP POWERED BY THE ALTMAN BROTHERS - New
$829,000Active3 beds 2 baths2,323 sq. ft.15038 E Marathon Drive, Fountain Hills, AZ 85268
MLS# 7017727Listed by: RE/MAX SUN PROPERTIES - New
$450,000Active2 beds 2 baths1,177 sq. ft.12223 N Tower Drive, Fountain Hills, AZ 85268
MLS# 7017586Listed by: COLDWELL BANKER REALTY - New
$775,000Active4 beds 2 baths1,870 sq. ft.14839 N Alamosa Circle, Fountain Hills, AZ 85268
MLS# 7017226Listed by: MY HOME GROUP REAL ESTATE