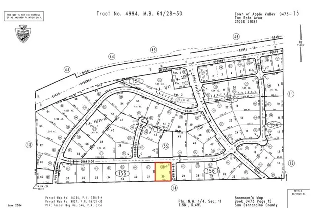
0 Quantico Rd, Apple Valley, CA 92307
Local realty services provided by:Better Homes and Gardens Real Estate Royal & Associates
0 Quantico Rd,Apple Valley, CA 92307
$152,000
- 0.76 Acres
- Lots / Land
- Active
Listed by: mehdi mostaedi
Office: nai capital, inc.
MLS#:CRHD25195145
Source:CA_BRIDGEMLS
Price summary
- Price:$152,000
About this home
Remarkable Opportunity for sale. ±0.76 Acres of vacant land, Zoned Multi-Family, on Quantico Road in Beautiful Apple Valley, California. APN: 0473-155-08. Located just 90 miles from Los Angeles and 190 miles to Las Vegas is the beautiful and rapidly-developing high desert community of Apple Valley, California. This is your opportunity to own approximately 3/4 of an acre of land zoned multi-family in a prime area of Apple Valley just minutes from a Starbucks, multiple restaurants, a medical center and shopping and just 7 miles from the city of Victorville. For less than the cost of land to build one home in Los Angeles, you have the opportunity to build up to 14 apartment units. Water, electricity and gas are right at the street! Unlimited potential on a rare corner lot only about 10 blocks from Highway 18 and only a few miles to Highway 15. Perfect for commuters! Beautiful Apple Valley is one of the last few affordable building locations in Southern California and it is rapidly being developed. Buyer to verify all information contained herein. Agent and their representatives are not responsible for the accuracy of these claims
Contact an agent
Home facts
- Listing ID #:CRHD25195145
- Added:77 day(s) ago
- Updated:November 15, 2025 at 04:58 PM
Rooms and interior
- Living area:33,105 sq. ft.
Structure and exterior
- Building area:33,105 sq. ft.
- Lot area:0.76 Acres
Finances and disclosures
- Price:$152,000
New listings near 0 Quantico Rd
- New
$610,000Active4 beds 3 baths3,481 sq. ft.20125 Eyota, Apple Valley, CA 92308
MLS# CRHD25258164Listed by: REALTY ONE GROUP EMPIRE - New
$129,000Active0.71 Acres0 N Rimrock, Apple Valley, CA 92307
MLS# CRRS25260705Listed by: BONA REAL ESTATE FONTANA TEAM - New
$489,000Active3 beds 2 baths1,651 sq. ft.20997 Valencia Street, Apple Valley, CA 92308
MLS# HD25245214Listed by: COLDWELL BANKER HOME SOURCE - New
$405,000Active3 beds 2 baths1,957 sq. ft.16375 Pauhaska Road, Apple Valley, CA 92307
MLS# HD25259986Listed by: KELLER WILLIAMS HIGH DESERT - New
$625,000Active4 beds 3 baths2,776 sq. ft.21291 Ramona, Apple Valley, CA 92307
MLS# HD25259308Listed by: FIRST TEAM REAL ESTATE-HIGHDES - New
$410,000Active3 beds 2 baths1,258 sq. ft.20953 South, Apple Valley, CA 92307
MLS# CRHD25259879Listed by: KELLER WILLIAMS VICTOR VALLEY - New
$799,000Active3 beds 2 baths1,980 sq. ft.10080 Deep Creek, Apple Valley, CA 92308
MLS# PW25260006Listed by: COMPASS - New
$135,000Active0 Acres9588 Milpas, Apple Valley, CA 92308
MLS# IV25260338Listed by: PEETE REALTY GROUP INC - New
$687,900Active5 beds 3 baths2,533 sq. ft.14829 Desert Lily Court, Apple Valley, CA 92307
MLS# SW25260081Listed by: LGI REALTY-CALIFORNIA , LLC - New
$707,900Active5 beds 3 baths2,533 sq. ft.14892 White Sage, Apple Valley, CA 92307
MLS# SW25260062Listed by: LGI REALTY-CALIFORNIA , LLC