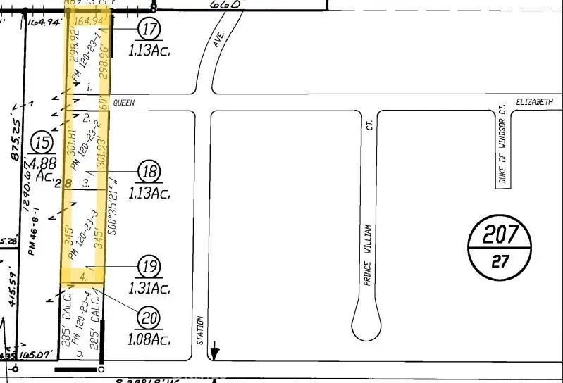
0 Queen Elizabeth, Atwater, CA 95301

Local realty services provided by:Better Homes and Gardens Real Estate Everything Real Estate
0 Queen Elizabeth,Atwater, CA 95301
$167,000
  • 1.13 Acres
  • Lots / Land
  • Active
Listed by:araceli gomez gutierrez
Office:nexthome d&g realty group
MLS#:MC25247011
Source:CRMLS

Price summary

  • Price:$167,000

About this home

Exceptional residential lot located in the highly desirable McSwain area—an ideal setting to create the home you’ve always envisioned. Sitting on just over an acre, this spacious parcel offers endless possibilities for your custom build, with plenty of room for a pool, shop, or outdoor entertaining space. Surrounded by beautiful, custom-built homes, the property provides a peaceful rural atmosphere while still being conveniently close to town, schools, and major commuter routes. Enjoy the best of both worlds—quiet country living with easy access to nearby amenities. Don’t miss this rare opportunity to secure a prime piece of land in one of McSwain’s most sought-after neighborhoods. The perfect canvas for your dream home awaits! This Property is being sold along with two other vacant lots.

Contact an agent

contact an agent

Yes, I would like more information from BHGRE®. Please use and/or share my information with an BHGRE affiliated agent to contact me about my real estate needs. By clicking Send message, I agree an BHGRE affiliated agent may contact me by phone or text message including by automated means about real estate services, and that I can access real estate services without providing my phone number. I acknowledge that I have read and agree to theTerms of useandPrivacy notice

Home facts

  • Listing ID #:MC25247011
  • Added:2 day(s) ago
  • Updated:October 28, 2025 at 10:23 AM

Structure and exterior

  • Lot area:1.13 Acres

Finances and disclosures

  • Price:$167,000
The information being provided by California Regional MLS (Southern California) is for the consumer's personal, non-commercial use and may not be used for any purpose other than to identify prospective properties consumer may be interested in purchasing. Any information relating to real estate for sale referenced on this web site comes from the Internet Data Exchange (IDX) program of the California Regional MLS (Southern California). Better Homes and Gardens Real Estate Everything Real Estate is not a Multiple Listing Service (MLS), nor does it offer MLS access. This website is a service of Better Homes and Gardens Real Estate Everything Real Estate, a broker participant of California Regional MLS (Southern California). This web site may reference real estate listing(s) held by a brokerage firm other than the broker and/or agent who owns this web site. The accuracy of all information, regardless of source, including but not limited to open house information, square footages and lot sizes, is deemed reliable but not guaranteed and should be personally verified through personal inspection by and/or with the appropriate professionals. The data contained herein is copyrighted by California Regional MLS (Southern California) and is protected by all applicable copyright laws. Any unauthorized dissemination of this information is in violation of copyright laws and is strictly prohibited. Copyright 2021 California Regional MLS (Southern California). All rights reserved.