0 Dusty Lane, Barstow, CA 92311

Local realty services provided by:Better Homes and Gardens Real Estate Everything Real Estate
0 Dusty Lane,Barstow, CA 92311
$55,000
  • 39.01 Acres
  • Lots / Land
  • Active
Listed by: barbara krommenhoek
Office: trust real estate
MLS#:HD24146156
Source:CRMLS

Price summary

  • Price:$55,000

About this home

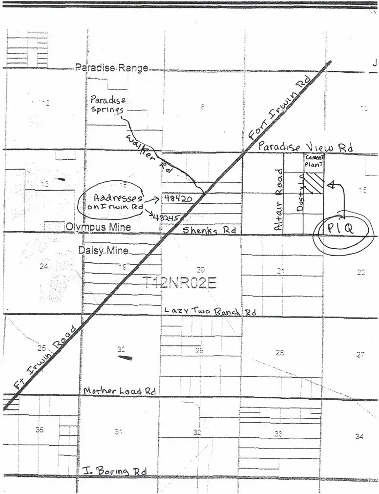
39.01 Acres located in beautiful Paradise Valley, only about 10 miles from Fort Irwin. From this property, you can see for miles, looking out over Coyote Dry Lake, clear over to the west side of Newberry Springs. The property adjoining to the north & to the west have electric so may not cost much to bring it to this property. Check with the electric company for pricing and availability. This parcel has legal access on Dusty Ln (AKA Sandy Ln) on the west. Take Fort Irwin Road north from Barstow. About 10 miles before you would get to the Ft Irwin Army Base, Turn right on Paradise View Rd. Right before the cement plant, turn right on Dusty Ln. (AKA Sandy Ln), go 1/4 mile to the NW corner of the parcel which will be on your left. Parcel has been surveyed. There are some pistachio trees on the property which haven't been watered for a long time so all or most are no longer alive but still on the property. Also there are two old sheds on north side of property but north property

Contact an agent

contact an agent

Yes, I would like more information from BHGRE®. Please use and/or share my information with an BHGRE affiliated agent to contact me about my real estate needs. By clicking Send message, I agree an BHGRE affiliated agent may contact me by phone or text message including by automated means about real estate services, and that I can access real estate services without providing my phone number. I acknowledge that I have read and agree to theTerms of useandPrivacy notice

Home facts

  • Listing ID #:HD24146156
  • Added:503 day(s) ago
  • Updated:December 02, 2025 at 11:46 AM

Structure and exterior

  • Lot area:39.01 Acres

Utilities

  • Sewer:Sewer Not Available

Finances and disclosures

  • Price:$55,000
The information being provided by California Regional MLS (Southern California) is for the consumer's personal, non-commercial use and may not be used for any purpose other than to identify prospective properties consumer may be interested in purchasing. Any information relating to real estate for sale referenced on this web site comes from the Internet Data Exchange (IDX) program of the California Regional MLS (Southern California). Better Homes and Gardens Real Estate Everything Real Estate is not a Multiple Listing Service (MLS), nor does it offer MLS access. This website is a service of Better Homes and Gardens Real Estate Everything Real Estate, a broker participant of California Regional MLS (Southern California). This web site may reference real estate listing(s) held by a brokerage firm other than the broker and/or agent who owns this web site. The accuracy of all information, regardless of source, including but not limited to open house information, square footages and lot sizes, is deemed reliable but not guaranteed and should be personally verified through personal inspection by and/or with the appropriate professionals. The data contained herein is copyrighted by California Regional MLS (Southern California) and is protected by all applicable copyright laws. Any unauthorized dissemination of this information is in violation of copyright laws and is strictly prohibited. Copyright 2021 California Regional MLS (Southern California). All rights reserved.