0 Corner 86th St & Evergreen Ave, California City, CA 93505

Local realty services provided by:Better Homes and Gardens Real Estate Napolitano & Associates
0 Corner 86th St & Evergreen Ave,California City, CA 93505
$8,000
  • 0 Acres
  • Lots / Land
  • Active
Listed by: nydia del rio
Office: home & land source
MLS#:IV25114001
Source:San Diego MLS via CRMLS

Price summary

  • Price:$8,000

About this home

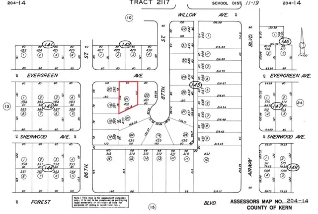
APN# 204-145-20 10,034 Sqft of buildable Land Close to utilities water power Close to schools shopping, Great and Growing area This is your opportunity to invest in land at an affordable price. there are 3 additional lots that are for sale and they are all together but sold separately 204-145-19,/ 204-145-21,/ and 204-145-22

Contact an agent

contact an agent

Yes, I would like more information. Please use and/or share my information with a BHGRE®  affiliated agent to contact me about my real estate needs. By clicking Send message, I request to be contacted by phone or text message and consent to being contacted by automated means. I understand that my consent to receive calls or texts is not a condition of purchasing any property, goods, or services. Alternatively, I understand that I can access real estate services by email or I can contact the agent myself.

If a BHGRE®  affiliated agent is not available in the area where I need assistance, I agree to be contacted by a real estate agent affiliated with another brand owned or licensed by Anywhere Real Estate (CENTURY 21® , Coldwell Banker® , Corcoran® , ERA® , Sotheby's International Realty® ).
 I acknowledge that I have read and agree to theTerms of useandPrivacy notice

Home facts

  • Listing ID #:IV25114001
  • Added:292 day(s) ago
  • Updated:March 10, 2026 at 01:49 PM

Finances and disclosures

  • Price:$8,000
MLS LogoThis information is deemed reliable but not guaranteed. You should rely on this information only to decide whether or not to further investigate a particular property. BEFORE MAKING ANY OTHER DECISION, YOU SHOULD PERSONALLY INVESTIGATE THE FACTS (e.g. square footage and lot size) with the assistance of an appropriate professional. You may use this information only to identify properties you may be interested in investigating further. All uses except for personal, non-commercial use in accordance with the foregoing purpose are prohibited. Redistribution or copying of this information, any photographs or video tours is strictly prohibited. This information is derived from the Internet Data Exchange (IDX) service provided by San Diego MLS®. Displayed property listings may be held by a brokerage firm other than the broker and/or agent responsible for this display. The information and any photographs and video tours and the compilation from which they are derived is protected by copyright. Compilation © 2020 San Diego MLS®, Inc.