19 LOT Acoma Avenue, Desert Hot Springs, CA 92240
Local realty services provided by:Better Homes and Gardens Real Estate Champions
19 LOT Acoma Avenue,Desert Hot Springs, CA 92240
$37,950
- 0.15 Acres
- Lots / Land
- Pending
Listed by: kristen maley, john maley
Office: landcore realty
MLS#:HD24213322
Source:CRMLS
Price summary
- Price:$37,950
About this home
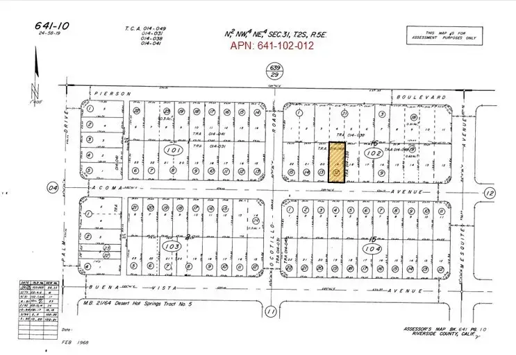
Residential Lot 19, 0.15 Acres (APN: 641-102-012) GPS: 33.96063, -116.49833 Lot 19, 6543 sq ft located in Desert Hot Springs, CA. The city of Desert Hot Springs has designated this property as Mixed Use Neighborhood (MUN). The district is intended to provide local- and neighborhood-supporting mixed-use activity centers with maximum residential densities of 15 dwelling units per acre and/or nonresidential intensity with a maximum floor area ratio (FAR) of 1.0. Commercial retail uses are the primary uses allowed on the ground floor. Professional office and residential uses are also allowed, either integrated with a commercial use or as separate, freestanding use. Easy walkable access from residential neighborhoods and pedestrian orientation are key considerations in the location and site design of mixed-use developments in this zone. According to the planning dept a manufactured home is permitted w/permanent foundation and 2 car garage (HCD compliant and 10 years or newer). DHS Planning Dept also states water and sewer are in the street, overhead power is also on site. Desert Hot Springs, CA, is a great place to call home for those seeking natural beauty and relaxation. Famous for its natural hot springs and breathtaking mountain views, it offers a peaceful, resort-like atmosphere. With affordable housing options, it's a perfect choice for families, retirees, or anyone looking to enjoy the laid-back desert lifestyle. Plus, the community is growing, and its close proximity to Palm Springs means you get the best of both worlds—quiet living with easy access to shopping, dining, and entertainment. Desert Hot Springs is the ideal spot for those wanting a serene and scenic place to settle down. This property does not yet have an address. While the boundary lines on the map offer a glimpse, they are only approximate. A Buyer should verify boundaries, zoning and utilities, ensuring every aspect aligns with their vision for the property.
Contact an agent
Home facts
- Listing ID #:HD24213322
- Added:465 day(s) ago
- Updated:January 23, 2026 at 09:01 AM
Structure and exterior
- Lot area:0.15 Acres
Utilities
- Water:Public, Water Available
- Sewer:Sewer Available, Sewer Not Available
Finances and disclosures
- Price:$37,950
New listings near 19 LOT Acoma Avenue
- New
$259,900Active3 beds 2 baths1,318 sq. ft.13390 Avenida Hermosa, Desert Hot Springs, CA 92240
MLS# IV26016483Listed by: SOUTHLAND HOMES - New
$102,000Active2 beds 2 baths1,344 sq. ft.17625 Langlois #SPACE 13, Desert Hot Springs, CA 92241
MLS# PW26015233Listed by: SUNNY HILLS REAL ESTATE, INC. - New
$729,999Active6 beds 4 baths2,482 sq. ft.66750 Desert View Avenue, Desert Hot Springs, CA 92240
MLS# 219141941DAListed by: HOMESMART - New
$169,000Active3 beds 2 baths1,152 sq. ft.14777 Palm Drive #38, Desert Hot Springs, CA 92240
MLS# 26641845PSListed by: FOUR WINDS REALTY, INC - Open Sat, 11am to 2pmNew
$585,000Active4 beds 3 baths2,732 sq. ft.67588 Cactus Apple Drive, Desert Hot Springs, CA 92240
MLS# 219141913DAListed by: EXP REALTY OF SOUTHERN CALIFORNIA INC - New
$49,900Active1 beds 1 baths400 sq. ft.70200 Dillon Road #425, Desert Hot Springs, CA 92241
MLS# 219141919DAListed by: SUN REAL ESTATE TEAM, INC - New
$1,000,000Active3.5 Acres1 PT Little Morongo Road, Desert Hot Springs, CA 92240
MLS# 26641653Listed by: JOHN THOMS PROPERTIES - New
$99,990Active2 beds 2 baths880 sq. ft.17555 2 Corkill Road #28, Desert Hot Springs, CA 92241
MLS# TR26014940Listed by: HOMECOIN.COM - New
$470,000Active3 beds 2 baths2,130 sq. ft.9710 Troon Court, Desert Hot Springs, CA 92240
MLS# IG26014268Listed by: KELLER WILLIAMS-LA QUINTA
$100,000Pending1 beds 1 baths565 sq. ft.9643 Spyglass #39, Desert Hot Springs, CA 92240
MLS# IG26015576Listed by: KELLER WILLIAMS REALTY