Near 29 Palms Hwy, Desert Hot Springs, CA 92282

Local realty services provided by:Better Homes and Gardens Real Estate Property Shoppe
Near 29 Palms Hwy,Desert Hot Springs, CA 92282
$198,500
  • 11 Acres
  • Lots / Land
  • Active
Listed by: steve welty
Office: steve welty & associates inc
MLS#:219139951DA
Source:CRMLS

Price summary

  • Price:$198,500

About this home

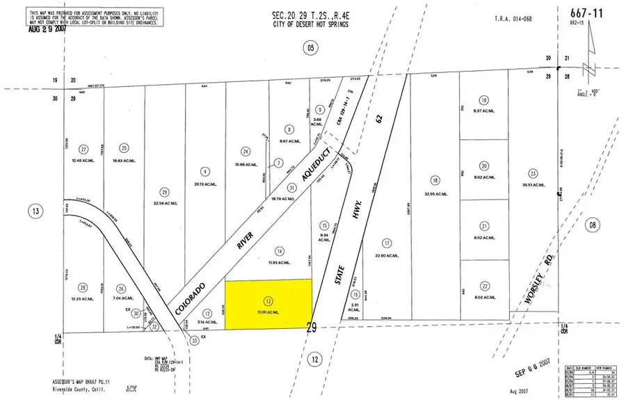
Excellent opportunity to acquire approximately 11 acres near 29 Palms Highway (Highway 62) in Desert Hot Springs, CA, APN 667-110-013. This parcel is zoned Commercial Business Park, opening the door to a wide range of commercial and mixed-use possibilities. Allowed uses include, but are not limited to, office, financial institutions, health and fitness facilities, grocery, restaurant with drive-thru, animal boarding and veterinary services, furniture and fixtures manufacturing, recording studio, and cannabis-related uses such as retail storefront or testing facility with a Conditional Use Permit (CUP). The site is strategically positioned just east of the planned Highland Falls development, a proposed 970-acre master-planned community with approximately 3,700 residential units, two 18-hole golf courses, and commercial components, adding long-term growth potential to the area. The property also offers expansive views of the Coachella Valley and surrounding mountains, making it

Contact an agent

contact an agent

Yes, I would like more information from BHGRE®. Please use and/or share my information with an BHGRE affiliated agent to contact me about my real estate needs. By clicking Send message, I agree an BHGRE affiliated agent may contact me by phone or text message including by automated means about real estate services, and that I can access real estate services without providing my phone number. I acknowledge that I have read and agree to theTerms of useandPrivacy notice

Home facts

  • Listing ID #:219139951DA
  • Added:1 day(s) ago
  • Updated:December 13, 2025 at 11:31 AM

Structure and exterior

  • Lot area:11 Acres

Finances and disclosures

  • Price:$198,500
Based on information from California Regional Multiple Listing Service, Inc. as of December 13, 2025 . This information is for your personal, non-commercial use and may not be used for any purpose other than to identify prospective properties you may be interested in purchasing. Display of MLS data is usually deemed reliable but is NOT guaranteed accurate by the MLS. Buyers are responsible for verifying the accuracy of all information and should investigate the data themselves or retain appropriate professionals. Information from sources other than the Listing Agent may have been included in the MLS data. Unless otherwise specified in writing, Broker/Agent has not and will not verify any information obtained from other sources. The Broker/Agent providing the information contained herein may or may not have been the Listing and/or Selling Agent. The information provided is for consumers' personal, non-commercial use and may not be used for any purpose other than to identify prospective properties consumers may be interested in purchasing. All properties are subject to prior sale or withdrawal. All information provided is deemed reliable but is not guaranteed accurate, and should be independently verified.