2 California, Hemet, CA 92545

Local realty services provided by:Better Homes and Gardens Real Estate Oak Valley
2 California,Hemet, CA 92545
$125,000
  • 5 Acres
  • Lots / Land
  • Active
Listed by: salvador correa
Office: impact real estate951-297-7910
MLS#:SW25272485
Source:CRMLS

Price summary

  • Price:$125,000

About this home

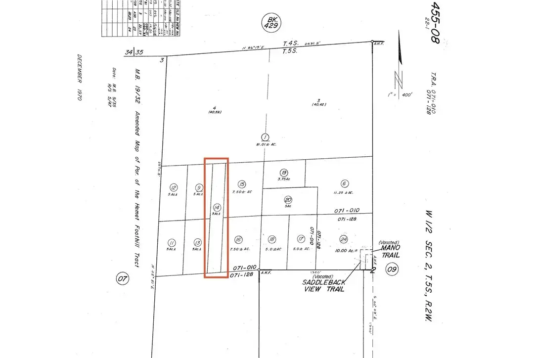
Build a beautiful home and ranch/farm on 5 acre property near the Maze Stone park. Ride and play among the boulders in the hills and enjoy the outstanding views of the Maze Stone ranches, valley and hills, all the way to Diamond Valley Lake and Mount San Jacinto. California Avenue access is along the paved road to the Cul De Sac at the north end of California Avenue leading to the lot allowing quiet solitude.Respect the neighbor's private property, be very careful if you venture into the lot, and watch for snakes and wildlife. Lot 14 on assessor map.

Contact an agent

contact an agent

Yes, I would like more information. Please use and/or share my information with a BHGRE®  affiliated agent to contact me about my real estate needs. By clicking Send message, I request to be contacted by phone or text message and consent to being contacted by automated means. I understand that my consent to receive calls or texts is not a condition of purchasing any property, goods, or services. Alternatively, I understand that I can access real estate services by email or I can contact the agent myself.

If a BHGRE®  affiliated agent is not available in the area where I need assistance, I agree to be contacted by a real estate agent affiliated with another brand owned or licensed by Anywhere Real Estate (CENTURY 21® , Coldwell Banker® , Corcoran® , ERA® , Sotheby's International Realty® ).
 I acknowledge that I have read and agree to theTerms of useandPrivacy notice

Home facts

  • Listing ID #:SW25272485
  • Added:169 day(s) ago
  • Updated:May 27, 2026 at 10:44 AM

Structure and exterior

  • Lot area:5 Acres

Utilities

  • Sewer:Sewer Not Available

Finances and disclosures

  • Price:$125,000
The information being provided by California Regional MLS (Southern California) is for the consumer's personal, non-commercial use and may not be used for any purpose other than to identify prospective properties consumer may be interested in purchasing. Any information relating to real estate for sale referenced on this web site comes from the Internet Data Exchange (IDX) program of the California Regional MLS (Southern California). Better Homes and Gardens Real Estate Oak Valley is not a Multiple Listing Service (MLS), nor does it offer MLS access. This website is a service of Better Homes and Gardens Real Estate Oak Valley, a broker participant of California Regional MLS (Southern California). This web site may reference real estate listing(s) held by a brokerage firm other than the broker and/or agent who owns this web site. The accuracy of all information, regardless of source, including but not limited to open house information, square footages and lot sizes, is deemed reliable but not guaranteed and should be personally verified through personal inspection by and/or with the appropriate professionals. The data contained herein is copyrighted by California Regional MLS (Southern California) and is protected by all applicable copyright laws. Any unauthorized dissemination of this information is in violation of copyright laws and is strictly prohibited. Copyright 2021 California Regional MLS (Southern California). All rights reserved.