0 Darwin, Hesperia, CA 92345

Local realty services provided by:Better Homes and Gardens Real Estate Reliance Partners
0 Darwin,Hesperia, CA 92345
$775,000
  • 1.83 Acres
  • Lots / Land
  • Active
Listed by: matthew hijazin760-628-4247
Office: klick realty
MLS#:HD25264451
Source:CAREIL

Price summary

  • Price:$775,000

About this home

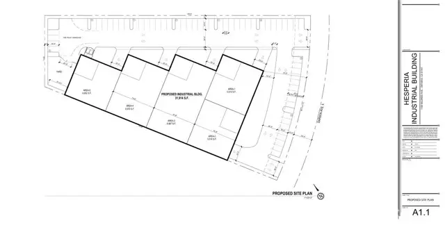
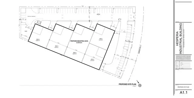
Prime Industrial Development Opportunity in Hesperia, CA Introducing a 1.83-acre I-2 zoned industrial parcel in the thriving city of Hesperia, California. This site comes fully entitled for a 31,914 square foot industrial building, as detailed in the attached site plan. Strategically located along Darwin Avenue, the property offers excellent access to major transportation corridors, including Interstate 15 and U.S. Highway 395, facilitating efficient logistics and distribution operations. This property presents an exceptional opportunity for developers and investors seeking to capitalize on Hesperia's expanding industrial market. The combination of existing entitlements, strategic location, and supportive business climate positions this site as a prime candidate for industrial development.

Contact an agent

contact an agent

Yes, I would like more information. Please use and/or share my information with a BHGRE®  affiliated agent to contact me about my real estate needs. By clicking Send message, I request to be contacted by phone or text message and consent to being contacted by automated means. I understand that my consent to receive calls or texts is not a condition of purchasing any property, goods, or services. Alternatively, I understand that I can access real estate services by email or I can contact the agent myself.

If a BHGRE®  affiliated agent is not available in the area where I need assistance, I agree to be contacted by a real estate agent affiliated with another brand owned or licensed by Anywhere Real Estate (CENTURY 21® , Coldwell Banker® , Corcoran® , ERA® , Sotheby's International Realty® ).
 I acknowledge that I have read and agree to theTerms of useandPrivacy notice

Home facts

  • Listing ID #:HD25264451
  • Added:283 day(s) ago
  • Updated:March 29, 2026 at 04:33 PM

Structure and exterior

  • Lot area:1.83 Acres
  • Lot Features:Level

Utilities

  • Water:District - Public

Finances and disclosures

  • Price:$775,000
MLS LogoThe information being provided by Mlslistings Inc is for the consumer's personal, non-commercial use and may not be used for any purpose other than to identify prospective properties consumer may be interested in purchasing. Any information relating to real estate for sale referenced on this web site comes from the Internet Data Exchange (IDX) program of the Mlslistings Inc. Better Homes and Gardens Real Estate Reliance Partners is not a Multiple Listing Service (MLS), nor does it offer MLS access. This website is a service of Better Homes and Gardens Real Estate Reliance Partners, a broker participant of Mlslistings Inc. This web site may reference real estate listing(s) held by a brokerage firm other than the broker and/or agent who owns this web site. The accuracy of all information, regardless of source, including but not limited to open house information, square footages and lot sizes, is deemed reliable but not guaranteed and should be personally verified through personal inspection by and/or with the appropriate professionals. The data contained herein is copyrighted by Mlslistings Inc and is protected by all applicable copyright laws. Any unauthorized dissemination of this information is in violation of copyright laws and is strictly prohibited. Properties in listings may have been sold or may no longer be available. Copyright 2026 Mlslistings Inc. All rights reserved.