0 Paisley, Hesperia, CA 92345
Local realty services provided by:Better Homes and Gardens Real Estate Clarity
0 Paisley,Hesperia, CA 92345
$350,000
- 10.47 Acres
- Lots / Land
- Active
Listed by: tam nguyen
Office: north star home loans
MLS#:PW26038851
Source:CRMLS
Price summary
- Price:$350,000
About this home
10.47 Acres of Prime City-Edge Land – Build, Subdivide & Grow in Hesperia, CA!
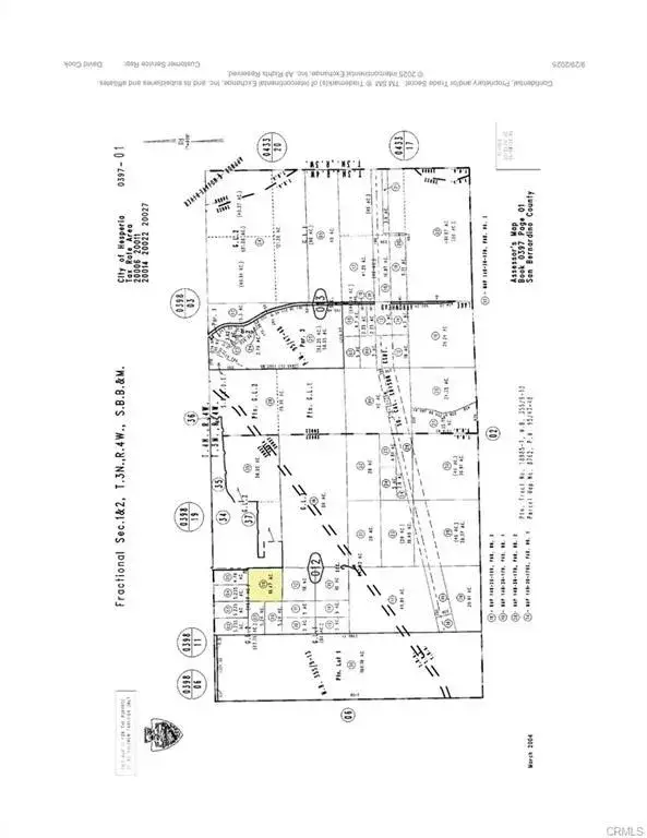
APN: 0397-012-08-0000 | Near Paisley Ave & Ranchero Rd, Hesperia, CA 92345
Seize this rare opportunity to own 10.47 acres of vacant residential land right in the heart of the thriving City of Hesperia! This blank-canvas parcel offers the perfect blend of wide-open high-desert freedom and convenient city access—ideal for your custom dream home, family compound, equestrian setup, or savvy investor play with subdivision potential.
Zoned residential within Hesperia city limits, the property supports single-family living with room for ADUs, guest houses, or possible minor lot splits (buyer to verify exact entitlements with City Planning). Imagine panoramic desert and mountain vistas, star-filled skies, and endless possibilities on this gently rolling terrain while enjoying proximity to I-15, shopping, schools, and everyday amenities in one of Southern California’s fastest-growing high-desert communities.
Hesperia Unified School District serves the area, and the location provides easy commutes to Victorville, Apple Valley, the Inland Empire, and beyond. Whether you’re looking to build immediately, hold for appreciation, or develop, this parcel delivers exceptional value in a market hungry for spacious, buildable acreage.
Highlights:
-Expansive 10.47 acres (over 456,000 sq ft) of usable high-desert land
-City of Hesperia zoning with flexible residential & potential development upside
-Prime location near paved roads and growing infrastructure
-Stunning desert/mountain views and true privacy
-Excellent investment or owner-builder opportunity in a strong-growth corridor
Don’t miss your chance to secure substantial land in Hesperia before prices climb further! Perfect for homesteaders, developers, or anyone ready to escape the ordinary and create something extraordinary in one of the region’s most desirable high-desert cities.
Priced to move—serious inquiries welcome. Contact us today for maps, more photos/drone footage, or to arrange a private showing. Buyer to verify all details including zoning, utilities availability, access, buildability, and environmental factors with the City of Hesperia and professionals of their choice.
Contact an agent
Home facts
- Listing ID #:PW26038851
- Added:1 day(s) ago
- Updated:February 21, 2026 at 06:24 PM
Structure and exterior
- Lot area:10.47 Acres
Finances and disclosures
- Price:$350,000
New listings near 0 Paisley
- New
$724,340Active5 beds 4 baths4,133 sq. ft.14193 Rollins Street, Hesperia, CA 92345
MLS# SW26039212Listed by: CENTURY 21 MASTERS - New
$100,000Active2.08 Acres11161 Mesa, Hesperia, CA 92344
MLS# IV26033526Listed by: BERKSHIRE HATHAWAY HOMESERVICES CALIFORNIA REALTY - New
$725,000Active4 beds 3 baths2,622 sq. ft.15179 Olive St, Hesperia, CA 92345
MLS# HD26038976Listed by: CENTURY 21 LEADERS REAL ESTATE - New
$725,000Active4 beds 3 baths2,622 sq. ft.15179 Olive St, Hesperia, CA 92345
MLS# HD26038976Listed by: CENTURY 21 LEADERS REAL ESTATE - New
$599,000Active3 beds 2 baths1,505 sq. ft.7170 Joshua, Hesperia, CA 92344
MLS# HD26038170Listed by: RE/MAX FREEDOM - Open Sun, 12 to 2pmNew
$435,000Active3 beds 2 baths1,816 sq. ft.9301 Creosote, Hesperia, CA 92344
MLS# HD26035175Listed by: REALTY ONE GROUP EMPIRE - Open Sun, 8am to 12pmNew
$230,000Active2.25 Acres0 E Avenue, Hesperia, CA 92345
MLS# HD26038738Listed by: REAL BROKERAGE TECHNOLOGIES - New
$699,990Active4 beds 4 baths3,649 sq. ft.9149 Braceo Street, Hesperia, CA 92344
MLS# SR26038958Listed by: BROADNAX PROPERTIES, INC. - New
$410,000Active-- beds -- baths1,182 sq. ft.15990 Yucca, Hesperia, CA 92345
MLS# HD26037863Listed by: FIRST TEAM REAL ESTATE-HIGHDES