700 Hoffman Road, Johannesburg, CA 93558
Local realty services provided by:Better Homes and Gardens Real Estate Royal & Associates
700 Hoffman Road,Red Mountain, CA 93558
$14,900
- 20 Acres
- Lots / Land
- Active
Listed by: nicole craft
Office: lucerne valley properties inc
MLS#:CRHD25252339
Source:CA_BRIDGEMLS
Price summary
- Price:$14,900
About this home
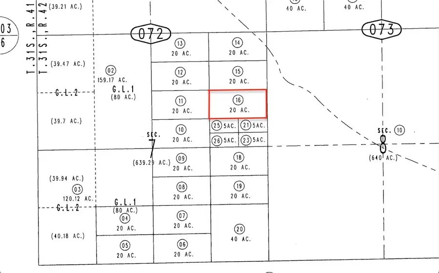
REDUCED!! 20 RURAL acres in the Mojave desert! This property is northeast of Kramer Junction close to the Grass Valley Wilderness area. This property would make a perfect camping spot as it has road access, is close to many off roading areas, and it's right next to 640 acres of government owned land! Bring your camper and off road toys out for fun in the sun! 20 acres for under $20,000...It doesn't get better than that! APN# 0504-072-16-0000 Coordinates:35.254139 /-117.509463 This property does not have an address assigned. "700 Hoffman Rd" is for listing purposes only.
Contact an agent
Home facts
- Listing ID #:CRHD25252339
- Added:2 day(s) ago
- Updated:November 21, 2025 at 04:55 PM
Structure and exterior
- Lot area:20 Acres
Finances and disclosures
- Price:$14,900
