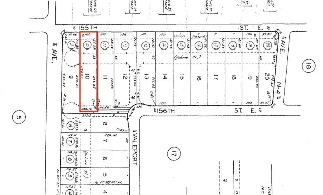
155 E/vic (nog), Lake Los Angeles, CA 93535

Local realty services provided by:Better Homes and Gardens Real Estate Haven Properties
155 E/vic (nog),Lake los Angeles, CA 93535
$40,000
  • 1.09 Acres
  • Lots / Land
  • Active
Listed by: lydia rodriguez
Office: san fernando realty, inc.
MLS#:SR25247392
Source:CRMLS

Price summary

  • Price:$40,000

About this home

Discover the perfect opportunity to build your dream home or invest in the growing community of Lake Los Angeles! This spacious 47,263 sq. ft. (over an acre) lot offers endless potential for your future plans. Enjoy peaceful desert living with stunning mountain views and easy access to major roads, nearby schools, and shopping. Whether you’re looking to create your private retreat or hold for future development, this property is ready for your vision.

Contact an agent

contact an agent

Yes, I would like more information. Please use and/or share my information with a BHGRE®  affiliated agent to contact me about my real estate needs. By clicking Send message, I request to be contacted by phone or text message and consent to being contacted by automated means. I understand that my consent to receive calls or texts is not a condition of purchasing any property, goods, or services. Alternatively, I understand that I can access real estate services by email or I can contact the agent myself.

If a BHGRE®  affiliated agent is not available in the area where I need assistance, I agree to be contacted by a real estate agent affiliated with another brand owned or licensed by Anywhere Real Estate (CENTURY 21® , Coldwell Banker® , Corcoran® , ERA® , Sotheby's International Realty® ).
 I acknowledge that I have read and agree to theTerms of useandPrivacy notice

Home facts

  • Listing ID #:SR25247392
  • Added:117 day(s) ago
  • Updated:February 21, 2026 at 02:20 PM

Structure and exterior

  • Lot area:1.09 Acres

Utilities

  • Sewer:Sewer Not Available

Finances and disclosures

  • Price:$40,000
Based on information from California Regional Multiple Listing Service, Inc. as of February 21, 2026 . This information is for your personal, non-commercial use and may not be used for any purpose other than to identify prospective properties you may be interested in purchasing. Display of MLS data is usually deemed reliable but is NOT guaranteed accurate by the MLS. Buyers are responsible for verifying the accuracy of all information and should investigate the data themselves or retain appropriate professionals. Information from sources other than the Listing Agent may have been included in the MLS data. Unless otherwise specified in writing, Broker/Agent has not and will not verify any information obtained from other sources. The Broker/Agent providing the information contained herein may or may not have been the Listing and/or Selling Agent. The information provided is for consumers' personal, non-commercial use and may not be used for any purpose other than to identify prospective properties consumers may be interested in purchasing. All properties are subject to prior sale or withdrawal. All information provided is deemed reliable but is not guaranteed accurate, and should be independently verified.