0 86 E Avenue I / 86th St E # H10, Lancaster, CA 93535

Local realty services provided by:Better Homes and Gardens Real Estate Everything Real Estate
0 86 E Avenue I / 86th St E # H10,Lancaster, CA 93535
$13,998
  • 2.59 Acres
  • Lots / Land
  • Pending
Listed by: nydia del rio
Office: home & land source661-400-9778
MLS#:IV26021399
Source:CRMLS

Price summary

  • Price:$13,998

About this home

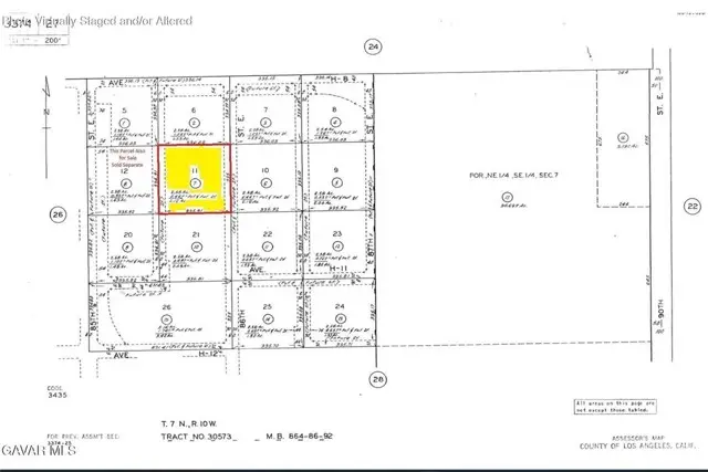
APN: 3374-027-007 Coordinates: 34.710904, -117.976911 2.59 acres for sale in Lancaster, CA. This lot is located near the corner of E Ave I and 90th St E in the Roosevelt area of Lancaster, CA. The adjacent parcel is also for sale APN# 3374-027-008.( Sold Separate)

Contact an agent

contact an agent

Yes, I would like more information. Please use and/or share my information with a BHGRE®  affiliated agent to contact me about my real estate needs. By clicking Send message, I request to be contacted by phone or text message and consent to being contacted by automated means. I understand that my consent to receive calls or texts is not a condition of purchasing any property, goods, or services. Alternatively, I understand that I can access real estate services by email or I can contact the agent myself.

If a BHGRE®  affiliated agent is not available in the area where I need assistance, I agree to be contacted by a real estate agent affiliated with another brand owned or licensed by Anywhere Real Estate (CENTURY 21® , Coldwell Banker® , Corcoran® , ERA® , Sotheby's International Realty® ).
 I acknowledge that I have read and agree to theTerms of useandPrivacy notice

Home facts

  • Listing ID #:IV26021399
  • Added:104 day(s) ago
  • Updated:May 14, 2026 at 07:41 AM

Structure and exterior

  • Lot area:2.59 Acres
  • Lot Features:Agricultural

Finances and disclosures

  • Price:$13,998
The information being provided by California Regional MLS (Southern California) is for the consumer's personal, non-commercial use and may not be used for any purpose other than to identify prospective properties consumer may be interested in purchasing. Any information relating to real estate for sale referenced on this web site comes from the Internet Data Exchange (IDX) program of the California Regional MLS (Southern California). Better Homes and Gardens Real Estate Everything Real Estate is not a Multiple Listing Service (MLS), nor does it offer MLS access. This website is a service of Better Homes and Gardens Real Estate Everything Real Estate, a broker participant of California Regional MLS (Southern California). This web site may reference real estate listing(s) held by a brokerage firm other than the broker and/or agent who owns this web site. The accuracy of all information, regardless of source, including but not limited to open house information, square footages and lot sizes, is deemed reliable but not guaranteed and should be personally verified through personal inspection by and/or with the appropriate professionals. The data contained herein is copyrighted by California Regional MLS (Southern California) and is protected by all applicable copyright laws. Any unauthorized dissemination of this information is in violation of copyright laws and is strictly prohibited. Copyright 2021 California Regional MLS (Southern California). All rights reserved.