0 E Avenue F, Lancaster, CA 93535

Local realty services provided by:Better Homes and Gardens Real Estate Oak Valley
0 E Avenue F,Lancaster, CA 93535
$20,000
  • 2.58 Acres
  • Lots / Land
  • Active
Listed by: nydia del rio
Office: home & land source
MLS#:IV25111681
Source:CRMLS

Price summary

  • Price:$20,000

About this home

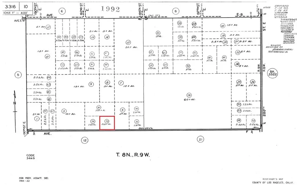
APN: 3316-010-073 Coordinates: 34.749806, -117.786500 2.58 acres for sale in LA County. This property is located in the High Vista area of Lancaster, CA near the corner of 195th St E and E Ave F. Zoning is LCA11, per county records, for agricultural use. Property is located on a marked road not far from other homes. Great location to build a home.

Contact an agent

contact an agent

Yes, I would like more information from BHGRE®. Please use and/or share my information with an BHGRE affiliated agent to contact me about my real estate needs. By clicking Send message, I agree an BHGRE affiliated agent may contact me by phone or text message including by automated means about real estate services, and that I can access real estate services without providing my phone number. I acknowledge that I have read and agree to theTerms of useandPrivacy notice

Home facts

  • Listing ID #:IV25111681
  • Added:196 day(s) ago
  • Updated:December 02, 2025 at 02:15 PM

Structure and exterior

  • Lot area:2.58 Acres

Utilities

  • Water:Water Not Available

Finances and disclosures

  • Price:$20,000
Based on information from California Regional Multiple Listing Service, Inc. as of December 2, 2025 . This information is for your personal, non-commercial use and may not be used for any purpose other than to identify prospective properties you may be interested in purchasing. Display of MLS data is usually deemed reliable but is NOT guaranteed accurate by the MLS. Buyers are responsible for verifying the accuracy of all information and should investigate the data themselves or retain appropriate professionals. Information from sources other than the Listing Agent may have been included in the MLS data. Unless otherwise specified in writing, Broker/Agent has not and will not verify any information obtained from other sources. The Broker/Agent providing the information contained herein may or may not have been the Listing and/or Selling Agent. The information provided is for consumers' personal, non-commercial use and may not be used for any purpose other than to identify prospective properties consumers may be interested in purchasing. All properties are subject to prior sale or withdrawal. All information provided is deemed reliable but is not guaranteed accurate, and should be independently verified.