6113 Napa (@ Rainbow), Landers, CA 92285

Local realty services provided by:Better Homes and Gardens Real Estate Clarity
6113 Napa (@ Rainbow),Landers, CA 92285
$153,580
  • 5 Acres
  • Lots / Land
  • Active
Listed by: gregg cochran
Office: smoketree commercial
MLS#:OC25206622
Source:CAREIL

Sorry, we are unable to map this address


Price summary

  • Price:$153,580

About this home

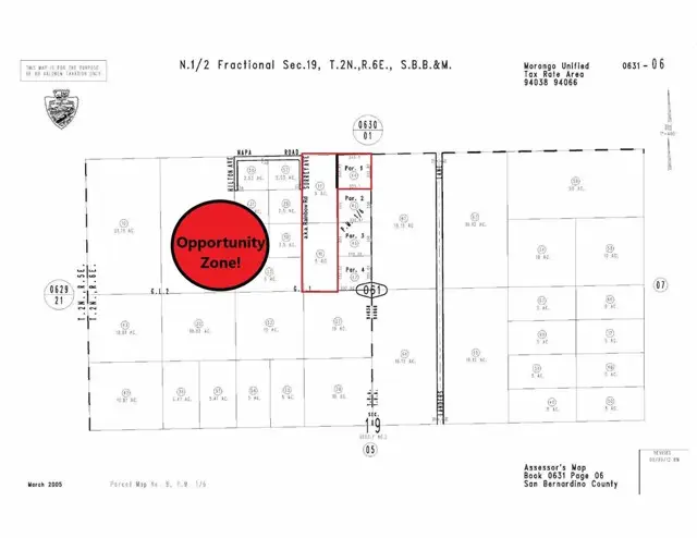
12.5 Acres in Landers, CA – Opportunity Zone & NMTC Eligible Unlock powerful tax advantages with this 12.5-acre assemblage in Landers, CA, located within both a federally designated Opportunity Zone and a New Market Tax Credit Zone. Comprising two 5-acre parcels and one 2.5-acre parcel, this flat, buildable land offers water access and is situated just off a paved road—ideal for commercial, hospitality, or mixed-use development. Investment Highlights • Located in Opportunity Zone – Potential for capital gains tax deferral and exclusion • NMTC Eligible – Access to federal tax credits for qualifying development • 12.5 Acres Total (3 Legal Parcels) • Water Access On-Site • Near Paved Road for Easy Access • Panoramic Mountain Views • Minutes to Joshua Tree National Park – High tourism traffic • May be Ideal for Glamping, Eco-Lodges, or Mixed-Use Desert Development This property offers a rare blend of natural beauty and financial incentives—perfect for developers...

Contact an agent

contact an agent

Yes, I would like more information. Please use and/or share my information with a BHGRE®  affiliated agent to contact me about my real estate needs. By clicking Send message, I request to be contacted by phone or text message and consent to being contacted by automated means. I understand that my consent to receive calls or texts is not a condition of purchasing any property, goods, or services. Alternatively, I understand that I can access real estate services by email or I can contact the agent myself.

If a BHGRE®  affiliated agent is not available in the area where I need assistance, I agree to be contacted by a real estate agent affiliated with another brand owned or licensed by Anywhere Real Estate (CENTURY 21® , Coldwell Banker® , Corcoran® , ERA® , Sotheby's International Realty® ).
 I acknowledge that I have read and agree to theTerms of useandPrivacy notice

Home facts

  • Listing ID #:OC25206622
  • Added:216 day(s) ago
  • Updated:April 14, 2026 at 04:29 PM

Structure and exterior

  • Lot area:5 Acres
  • Lot Features:Level

Utilities

  • Water:District - Public

Finances and disclosures

  • Price:$153,580
MLS LogoThe information being provided by Mlslistings Inc is for the consumer's personal, non-commercial use and may not be used for any purpose other than to identify prospective properties consumer may be interested in purchasing. Any information relating to real estate for sale referenced on this web site comes from the Internet Data Exchange (IDX) program of the Mlslistings Inc. Better Homes and Gardens Real Estate Clarity is not a Multiple Listing Service (MLS), nor does it offer MLS access. This website is a service of Better Homes and Gardens Real Estate Clarity, a broker participant of Mlslistings Inc. This web site may reference real estate listing(s) held by a brokerage firm other than the broker and/or agent who owns this web site. The accuracy of all information, regardless of source, including but not limited to open house information, square footages and lot sizes, is deemed reliable but not guaranteed and should be personally verified through personal inspection by and/or with the appropriate professionals. The data contained herein is copyrighted by Mlslistings Inc and is protected by all applicable copyright laws. Any unauthorized dissemination of this information is in violation of copyright laws and is strictly prohibited. Properties in listings may have been sold or may no longer be available. Copyright 2026 Mlslistings Inc. All rights reserved.