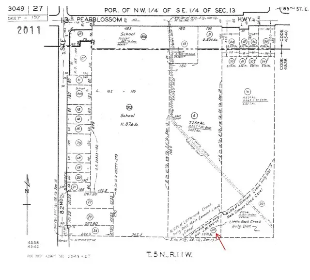
0 Vac/vic Pearblossom Hwy/82nd, Littlerock, CA 93543

Local realty services provided by:Better Homes and Gardens Real Estate Royal & Associates
0 Vac/vic Pearblossom Hwy/82nd,Littlerock (also Little Rock), CA 93543
$60,000
  • 1.07 Acres
  • Lots / Land
  • Active
Listed by: oksana strand
Office: equity union
MLS#:CRSR25107347
Source:Bay East, CCAR, bridgeMLS

Price summary

  • Price:$60,000

About this home

THREE LOTS ARE AVAILABLE FOR SALE NEXT TO EACH OTHER, SOLD TOGETHER OR SEPARATELY. UNDEVELOPED FLAT LAND (MULTIPLE PARCELS) IS SURROUNDED BY RESIDENTIAL HOMES AND CONVENIENTLY LOCATED BEHIND MCDONALDS COMMERCIAL PLAZA ON PEARBLOSSOM HWY - EASY TO LOCATE AND DRIVE BY TO CHECK/INVESTIGATE THE LAND. A GREAT OPPORTUNITY FOR DEVELOPERS AND INVESTORS WITH ACCESS TO WATER, ELECTRICITY & CITY ROADS.THE SIZE OF THE LOT IS TAKEN FROM ORIGINAL PLANS/SUBDIVISION MAP, SUBJECT TO BUYER'S VERIFICATION WITH THE CITY. SELLER IS WILLING TO FINANCE WITH 25% DOWNPAYMENT UPON CREDIT VERIFICATION, OFFERING 8-9% RATE TBD.

Contact an agent

contact an agent

Yes, I would like more information. Please use and/or share my information with a BHGRE®  affiliated agent to contact me about my real estate needs. By clicking Send message, I request to be contacted by phone or text message and consent to being contacted by automated means. I understand that my consent to receive calls or texts is not a condition of purchasing any property, goods, or services. Alternatively, I understand that I can access real estate services by email or I can contact the agent myself.

If a BHGRE®  affiliated agent is not available in the area where I need assistance, I agree to be contacted by a real estate agent affiliated with another brand owned or licensed by Anywhere Real Estate (CENTURY 21® , Coldwell Banker® , Corcoran® , ERA® , Sotheby's International Realty® ).
 I acknowledge that I have read and agree to theTerms of useandPrivacy notice

Home facts

  • Listing ID #:CRSR25107347
  • Added:293 day(s) ago
  • Updated:March 04, 2026 at 03:32 PM

Structure and exterior

  • Lot area:1.07 Acres
  • Architectural Style:Unimproved Land

Finances and disclosures

  • Price:$60,000
MLS LogoBay East 2026. CCAR 2026 bridgeMLS 2026. Information Deemed Reliable But Not Guaranteed. This information is being provided by the Bay East MLS, or CCAR MLS, or bridgeMLS. The listings presented here may or may not be listed by the Broker/Agent operating this website. This information is intended for the personal use of consumers and may not be used for any purpose other than to identify prospective properties consumers may be interested in purchasing. Data last updated at March 4, 2026