0 Montana, Menifee, CA 92587

Local realty services provided by:Better Homes and Gardens Real Estate Napolitano & Associates
0 Montana,Menifee, CA 92587
$45,000
  • 0 Acres
  • Lots / Land
  • Active
Listed by:jessica davis
Office:localist realty
MLS#:SW25188041
Source:San Diego MLS via CRMLS

Price summary

  • Price:$45,000

About this home

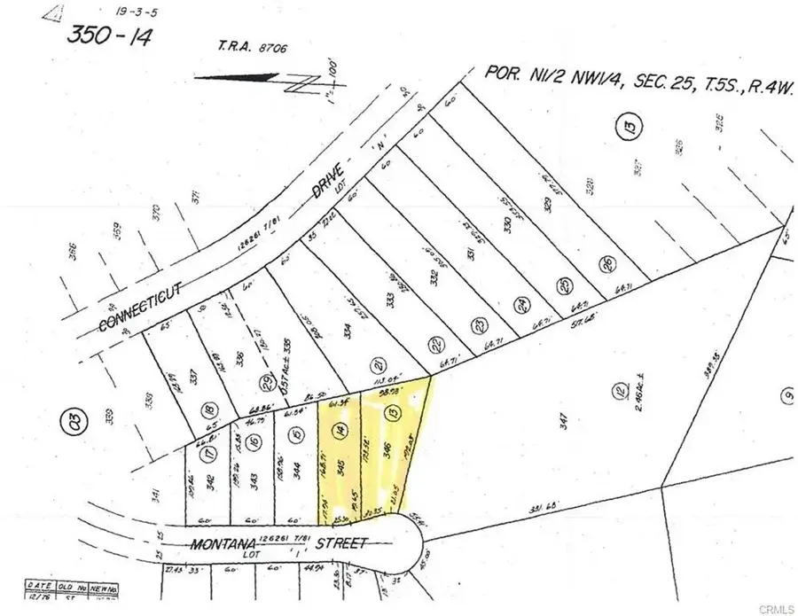
Incredible opportunity to own two adjacent parcels totaling approx. 0.51 acres (APN 350-140-013 & 350-140-014) in the heart of Menifeeperfect for building your dream home or custom estate! Nestled in a peaceful and well-established neighborhood near Canyon Lake, Quail Valley and Lake Elsinore these raw land lots offer the ideal canvas for your vision. Whether you're dreaming of a private retreat, family compound, or future investment, this location combines rural charm with suburban convenience. Easy access to freeways, shopping, schools, and outdoor recreation. Imagine waking up to open skies and scenic surroundings while still being close to modern amenities. Purchase both lots together for an amazing price of $45,000. Utilities nearbybuyer to verify zoning and development requirements with the City of Menifee. Dont miss this chance to create something truly special!

Contact an agent

contact an agent

Yes, I would like more information from BHGRE®. Please use and/or share my information with an BHGRE affiliated agent to contact me about my real estate needs. By clicking Send message, I agree an BHGRE affiliated agent may contact me by phone or text message including by automated means about real estate services, and that I can access real estate services without providing my phone number. I acknowledge that I have read and agree to theTerms of useandPrivacy notice

Home facts

  • Listing ID #:SW25188041
  • Added:46 day(s) ago
  • Updated:October 06, 2025 at 02:05 PM

Finances and disclosures

  • Price:$45,000
MLS LogoThis information is deemed reliable but not guaranteed. You should rely on this information only to decide whether or not to further investigate a particular property. BEFORE MAKING ANY OTHER DECISION, YOU SHOULD PERSONALLY INVESTIGATE THE FACTS (e.g. square footage and lot size) with the assistance of an appropriate professional. You may use this information only to identify properties you may be interested in investigating further. All uses except for personal, non-commercial use in accordance with the foregoing purpose are prohibited. Redistribution or copying of this information, any photographs or video tours is strictly prohibited. This information is derived from the Internet Data Exchange (IDX) service provided by San Diego MLS®. Displayed property listings may be held by a brokerage firm other than the broker and/or agent responsible for this display. The information and any photographs and video tours and the compilation from which they are derived is protected by copyright. Compilation © 2020 San Diego MLS®, Inc.