0 Vacant Land, Mountain Center, CA 92561

Local realty services provided by:Better Homes and Gardens Real Estate Haven Properties
0 Vacant Land,Mountain Center, CA 92561
$96,000
  • 1 Acres
  • Lots / Land
  • Active
Listed by: rosalie silva
Office: bennion deville homes
MLS#:219140404DA
Source:CRMLS

Price summary

  • Price:$96,000

About this home

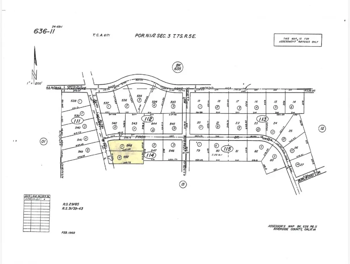
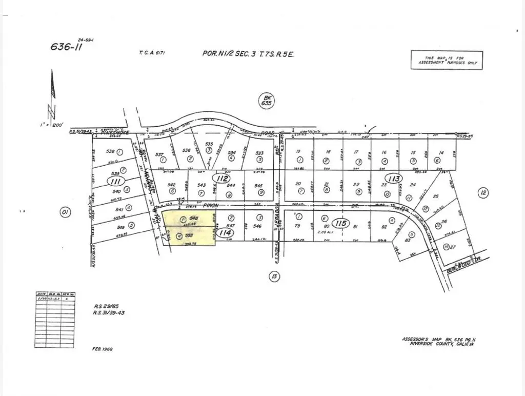
An Amazing opportunity to Own A huge vacant corner lot undeveloped in the beautiful area of Mountain Center known as Pinyon Pines Community. This Property includes 2 lots that combine each 1 acre or together equal 2.07 Acres.Seller would prefer to sell together but are both separate parcels. ~ APN: 636-114-001/ APN: 636-114-004. ~Which APN: 636-114-001 contains a water well on this lot. Buyer is advised to verify availability of all utilities, all facts, Boundaries & all investigations of zoning through the county of Riverside. This Large corner lots sits right in the middle of the community ready to build your dream home,Private weekend retreat or Ranch Style Investment. So much possibilities to enjoy everyday with those amazing views surrounded by the Santa Rosa & San Jacinto Mountains.If you're looking for cooler weather & a place to enjoy all year around seasons.Wait no more, This is the place to bring life to your creatively or a tranquil getaway with mother nature. Located just

Contact an agent

contact an agent

Yes, I would like more information. Please use and/or share my information with a BHGRE®  affiliated agent to contact me about my real estate needs. By clicking Send message, I request to be contacted by phone or text message and consent to being contacted by automated means. I understand that my consent to receive calls or texts is not a condition of purchasing any property, goods, or services. Alternatively, I understand that I can access real estate services by email or I can contact the agent myself.

If a BHGRE®  affiliated agent is not available in the area where I need assistance, I agree to be contacted by a real estate agent affiliated with another brand owned or licensed by Anywhere Real Estate (CENTURY 21® , Coldwell Banker® , Corcoran® , ERA® , Sotheby's International Realty® ).
 I acknowledge that I have read and agree to theTerms of useandPrivacy notice

Home facts

  • Listing ID #:219140404DA
  • Added:1 day(s) ago
  • Updated:December 28, 2025 at 10:28 PM

Structure and exterior

  • Lot area:1 Acres

Utilities

  • Water:Private, Well

Finances and disclosures

  • Price:$96,000
The information being provided by California Regional MLS (Southern California) is for the consumer's personal, non-commercial use and may not be used for any purpose other than to identify prospective properties consumer may be interested in purchasing. Any information relating to real estate for sale referenced on this web site comes from the Internet Data Exchange (IDX) program of the California Regional MLS (Southern California). Better Homes and Gardens Real Estate Haven Properties is not a Multiple Listing Service (MLS), nor does it offer MLS access. This website is a service of Better Homes and Gardens Real Estate Haven Properties, a broker participant of California Regional MLS (Southern California). This web site may reference real estate listing(s) held by a brokerage firm other than the broker and/or agent who owns this web site. The accuracy of all information, regardless of source, including but not limited to open house information, square footages and lot sizes, is deemed reliable but not guaranteed and should be personally verified through personal inspection by and/or with the appropriate professionals. The data contained herein is copyrighted by California Regional MLS (Southern California) and is protected by all applicable copyright laws. Any unauthorized dissemination of this information is in violation of copyright laws and is strictly prohibited. Copyright 2021 California Regional MLS (Southern California). All rights reserved.