10 Greenview, Newberry Springs, CA 92365

Local realty services provided by:Better Homes and Gardens Real Estate Napolitano & Associates
10 Greenview,Newberry Springs, CA 92365
$17,950
  • 0 Acres
  • Lots / Land
  • Active
Listed by: kristen maley, john maley
Office: landcore realty
MLS#:HD25232018
Source:San Diego MLS via CRMLS

Price summary

  • Price:$17,950

About this home

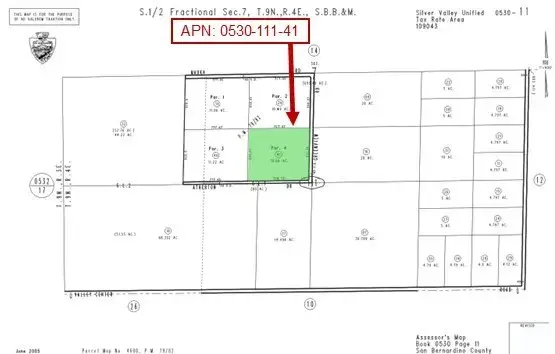
10.66 Acres (APN: 0530-111-41) GPS: 34.883588, -116.600005 This 10-acre property is located along Atherton Drive in the quiet desert community of Newberry Springs, San Bernardino County. This property is zoned both Rural Living- 5 Ac Minimum (RL-5) and Rural Commercial (CR), offering exceptional versatility. RL zoning supports residential uses such as single-family or manufactured homes, agriculture, animal keeping, agritourism, and the potential to subdivide into 5-acre parcels. CR zoning expands opportunities to include retail, lodging, repair services, recreation, and entertainment uses, with housing density of up to 2 units per acre in the desert region. Both zones allow renewable energy facilities, making this property attractive for a wide range of residential, commercial, and investment possibilities. Utilities in the area include overhead electricity approximately 1340 ft south along Valley Center Rd., with residents relying on private water wells, septic systems, and propane

Contact an agent

contact an agent

Yes, I would like more information. Please use and/or share my information with a BHGRE®  affiliated agent to contact me about my real estate needs. By clicking Send message, I request to be contacted by phone or text message and consent to being contacted by automated means. I understand that my consent to receive calls or texts is not a condition of purchasing any property, goods, or services. Alternatively, I understand that I can access real estate services by email or I can contact the agent myself.

If a BHGRE®  affiliated agent is not available in the area where I need assistance, I agree to be contacted by a real estate agent affiliated with another brand owned or licensed by Anywhere Real Estate (CENTURY 21® , Coldwell Banker® , Corcoran® , ERA® , Sotheby's International Realty® ).
 I acknowledge that I have read and agree to theTerms of useandPrivacy notice

Home facts

  • Listing ID #:HD25232018
  • Added:145 day(s) ago
  • Updated:February 26, 2026 at 03:00 PM

Finances and disclosures

  • Price:$17,950
MLS LogoThis information is deemed reliable but not guaranteed. You should rely on this information only to decide whether or not to further investigate a particular property. BEFORE MAKING ANY OTHER DECISION, YOU SHOULD PERSONALLY INVESTIGATE THE FACTS (e.g. square footage and lot size) with the assistance of an appropriate professional. You may use this information only to identify properties you may be interested in investigating further. All uses except for personal, non-commercial use in accordance with the foregoing purpose are prohibited. Redistribution or copying of this information, any photographs or video tours is strictly prohibited. This information is derived from the Internet Data Exchange (IDX) service provided by San Diego MLS®. Displayed property listings may be held by a brokerage firm other than the broker and/or agent responsible for this display. The information and any photographs and video tours and the compilation from which they are derived is protected by copyright. Compilation © 2020 San Diego MLS®, Inc.