10 AC Mauka Road, Newberry Springs, CA 92365

Local realty services provided by:Better Homes and Gardens Real Estate Property Shoppe
10 AC Mauka Road,Newberry Springs, CA 92365
$18,950
  • 10.49 Acres
  • Lots / Land
  • Active
Listed by: kristen maley, john maley
Office: landcore realty
MLS#:HD25232067
Source:CRMLS

Price summary

  • Price:$18,950

About this home

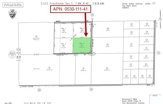
Discover 10.49 acres in the peaceful desert community of Newberry Springs, just east of Barstow with easy access to I-15 and Hwy 40. Located on the corner of Mauka Rd and Greenview Rd, this parcel offers Rural Living (RL-5) zoning with a 5-acre minimum, allowing for single-family or manufactured homes, agriculture, animal keeping, agritourism, bed & breakfasts, and more. The zoning also permits subdivision, making this a strong long-term investment opportunity. Overhead electricity is nearby along Valley Center Rd, while residents in the area use private wells, septic, and propane. Additional adjacent parcels are available for a combined total of 83 acres. With its wide-open desert views, breathtaking sunsets, and proximity to the historic Bagdad Café, this property is perfect for those seeking a tranquil retreat, custom home site, or versatile development project. Buyer to verify boundaries, zoning, and utilities. (APN: 0530-111-39) GPS: 34.887011, -116.599867

Contact an agent

contact an agent

Yes, I would like more information. Please use and/or share my information with a BHGRE®  affiliated agent to contact me about my real estate needs. By clicking Send message, I request to be contacted by phone or text message and consent to being contacted by automated means. I understand that my consent to receive calls or texts is not a condition of purchasing any property, goods, or services. Alternatively, I understand that I can access real estate services by email or I can contact the agent myself.

If a BHGRE®  affiliated agent is not available in the area where I need assistance, I agree to be contacted by a real estate agent affiliated with another brand owned or licensed by Anywhere Real Estate (CENTURY 21® , Coldwell Banker® , Corcoran® , ERA® , Sotheby's International Realty® ).
 I acknowledge that I have read and agree to theTerms of useandPrivacy notice

Home facts

  • Listing ID #:HD25232067
  • Added:76 day(s) ago
  • Updated:December 19, 2025 at 12:14 PM

Structure and exterior

  • Lot area:10.49 Acres

Utilities

  • Sewer:Sewer Not Available

Finances and disclosures

  • Price:$18,950
The information being provided by California Regional MLS (Southern California) is for the consumer's personal, non-commercial use and may not be used for any purpose other than to identify prospective properties consumer may be interested in purchasing. Any information relating to real estate for sale referenced on this web site comes from the Internet Data Exchange (IDX) program of the California Regional MLS (Southern California). Better Homes and Gardens Real Estate Property Shoppe is not a Multiple Listing Service (MLS), nor does it offer MLS access. This website is a service of Better Homes and Gardens Real Estate Property Shoppe, a broker participant of California Regional MLS (Southern California). This web site may reference real estate listing(s) held by a brokerage firm other than the broker and/or agent who owns this web site. The accuracy of all information, regardless of source, including but not limited to open house information, square footages and lot sizes, is deemed reliable but not guaranteed and should be personally verified through personal inspection by and/or with the appropriate professionals. The data contained herein is copyrighted by California Regional MLS (Southern California) and is protected by all applicable copyright laws. Any unauthorized dissemination of this information is in violation of copyright laws and is strictly prohibited. Copyright 2021 California Regional MLS (Southern California). All rights reserved.