11 Atherton, Newberry Springs, CA 92365

Local realty services provided by:Better Homes and Gardens Real Estate Napolitano & Associates
11 Atherton,Newberry Springs, CA 92365
$18,500
  • 0 Acres
  • Lots / Land
  • Active
Listed by: kristen maley, john maley
Office: landcore realty
MLS#:HD25232036
Source:San Diego MLS via CRMLS

Price summary

  • Price:$18,500

About this home

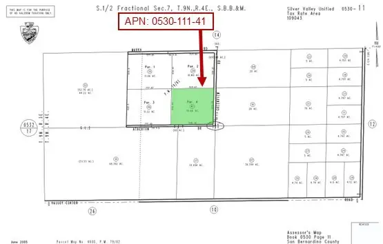
11.22 Acres (APN: 0530-111-40) GPS: 34.883581, -116.602467 This 11-acre property is located along Atherton Drive in the quiet desert community of Newberry Springs, San Bernardino County. Zoned Rural Living - 5 Acre Minimum (RL-5), this property offers excellent flexibility. Permitted uses include single-family or manufactured homes, crop production, agritourism enterprises, animal keeping, livestock operations, bed & breakfast establishments, small residential care facilities, schools, places of worship, and recreational uses such as parks or playgrounds. The RL zoning also allows subdivision into 5-acre parcels, providing long-term investment potential. Utilities in the area include overhead electricity approximately 1340 ft south along Valley Center Rd., with residents relying on private water wells, septic systems, and propane tanks for their utility needs. This property does not yet have an address, the address listed is for marketing purposes only. While the boundary lines on the...

Contact an agent

contact an agent

Yes, I would like more information. Please use and/or share my information with a BHGRE®  affiliated agent to contact me about my real estate needs. By clicking Send message, I request to be contacted by phone or text message and consent to being contacted by automated means. I understand that my consent to receive calls or texts is not a condition of purchasing any property, goods, or services. Alternatively, I understand that I can access real estate services by email or I can contact the agent myself.

If a BHGRE®  affiliated agent is not available in the area where I need assistance, I agree to be contacted by a real estate agent affiliated with another brand owned or licensed by Anywhere Real Estate (CENTURY 21® , Coldwell Banker® , Corcoran® , ERA® , Sotheby's International Realty® ).
 I acknowledge that I have read and agree to theTerms of useandPrivacy notice

Home facts

  • Listing ID #:HD25232036
  • Added:189 day(s) ago
  • Updated:April 11, 2026 at 02:01 PM

Finances and disclosures

  • Price:$18,500
MLS LogoThis information is deemed reliable but not guaranteed. You should rely on this information only to decide whether or not to further investigate a particular property. BEFORE MAKING ANY OTHER DECISION, YOU SHOULD PERSONALLY INVESTIGATE THE FACTS (e.g. square footage and lot size) with the assistance of an appropriate professional. You may use this information only to identify properties you may be interested in investigating further. All uses except for personal, non-commercial use in accordance with the foregoing purpose are prohibited. Redistribution or copying of this information, any photographs or video tours is strictly prohibited. This information is derived from the Internet Data Exchange (IDX) service provided by San Diego MLS®. Displayed property listings may be held by a brokerage firm other than the broker and/or agent responsible for this display. The information and any photographs and video tours and the compilation from which they are derived is protected by copyright. Compilation © 2020 San Diego MLS®, Inc.