528181 National Trails, Newberry Springs, CA 92365

Local realty services provided by:Better Homes and Gardens Real Estate Clarity
528181 National Trails,Newberry Springs, CA 92365
$65,000
  • 0 Acres
  • Lots / Land
  • Active
Listed by: jeffrey nyal
Office: coldwell banker home source
MLS#:536009
Source:San Diego MLS via CRMLS

Price summary

  • Price:$65,000

About this home

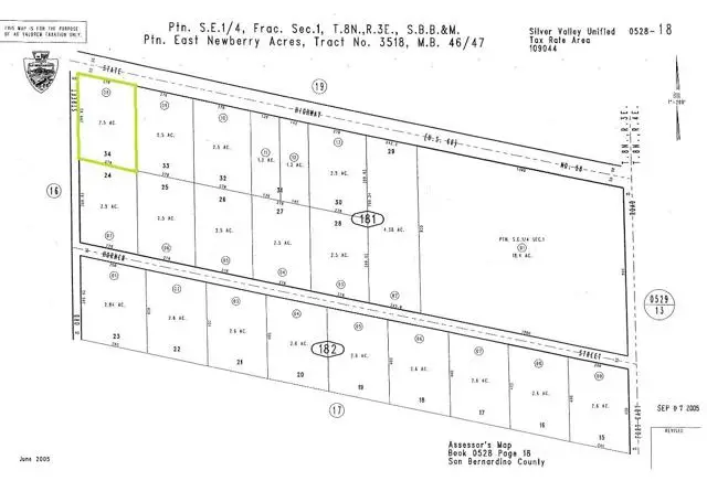
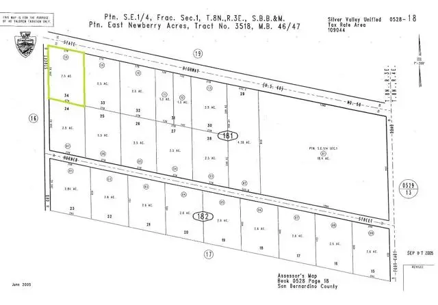
***COME VIEW AND MAKE AN OFFER TODAY! 2 and 1/2 acre COMMERCIALLY ZONED CORNER PARCEL located on Historic Route 66 and Ord St in expanding Newberry Springs, CA. The site is less than one block from the Interstate-40 and Fort Cady exit that sees tens of thousands drive by everyday on their way east to to Arizona and beyond. The parcel is adjacent to utility lines and is on paved frontage, close to the Newberry Mountain RV park. The commercial zoning allows for many possibilities from RV/Boat/Semi storage, billboards, service stations, and camping to name a few. There aren't many affordable, commercially zoned parcels close to an interstate exit, making this site a must see opportunity before it's too late. ***

Contact an agent

contact an agent

Yes, I would like more information. Please use and/or share my information with a BHGRE®  affiliated agent to contact me about my real estate needs. By clicking Send message, I request to be contacted by phone or text message and consent to being contacted by automated means. I understand that my consent to receive calls or texts is not a condition of purchasing any property, goods, or services. Alternatively, I understand that I can access real estate services by email or I can contact the agent myself.

If a BHGRE®  affiliated agent is not available in the area where I need assistance, I agree to be contacted by a real estate agent affiliated with another brand owned or licensed by Anywhere Real Estate (CENTURY 21® , Coldwell Banker® , Corcoran® , ERA® , Sotheby's International Realty® ).
 I acknowledge that I have read and agree to theTerms of useandPrivacy notice

Home facts

  • Listing ID #:536009
  • Added:785 day(s) ago
  • Updated:February 26, 2026 at 02:46 PM

Finances and disclosures

  • Price:$65,000
MLS LogoThis information is deemed reliable but not guaranteed. You should rely on this information only to decide whether or not to further investigate a particular property. BEFORE MAKING ANY OTHER DECISION, YOU SHOULD PERSONALLY INVESTIGATE THE FACTS (e.g. square footage and lot size) with the assistance of an appropriate professional. You may use this information only to identify properties you may be interested in investigating further. All uses except for personal, non-commercial use in accordance with the foregoing purpose are prohibited. Redistribution or copying of this information, any photographs or video tours is strictly prohibited. This information is derived from the Internet Data Exchange (IDX) service provided by San Diego MLS®. Displayed property listings may be held by a brokerage firm other than the broker and/or agent responsible for this display. The information and any photographs and video tours and the compilation from which they are derived is protected by copyright. Compilation © 2020 San Diego MLS®, Inc.