0 E Ave E4, North Antelope Valley, CA 93535

Local realty services provided by:Better Homes and Gardens Real Estate Property Shoppe
0 E Ave E4,Redman, CA 93535
$48,000
  • 9.47 Acres
  • Lots / Land
  • Active
Listed by: steve welty
Office: steve welty & associates inc
MLS#:SW25267564
Source:CRMLS

Price summary

  • Price:$48,000

About this home

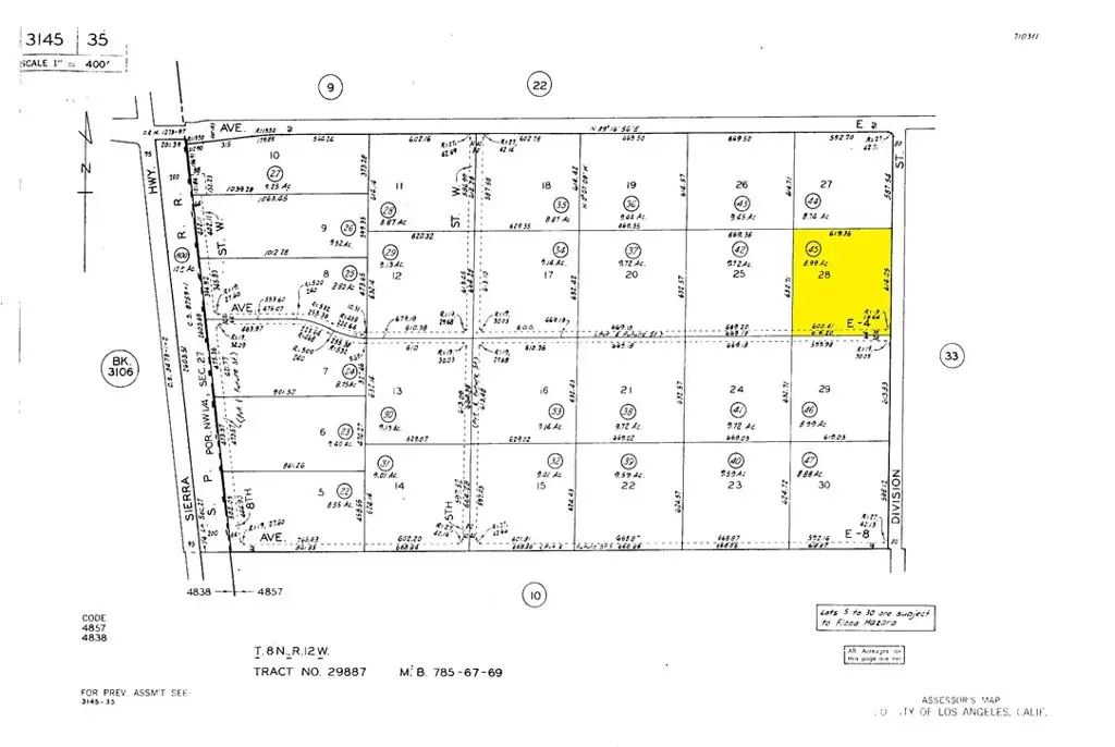
Significant price reduction since last listing! Explore this expansive 9.4-acre parcel located on Ave E-4 in Lancaster, California. Identified by APN 3145-035-045, this property offers a wide range of potential uses and opportunities for future development or long-term investment. Its convenient location in the heart of Lancaster positions it well for growth, making it an attractive option for buyers looking for value and space. ****No soils reports, surveys, etc., have been done. Buyer and buyer's agent to verify all information with the city or county for allowable uses and requirements and rely on their own investigations. **Buyer responsible for checking zoning, utilities, permits and exact property boundaries. ****

Contact an agent

contact an agent

Yes, I would like more information. Please use and/or share my information with a BHGRE®  affiliated agent to contact me about my real estate needs. By clicking Send message, I request to be contacted by phone or text message and consent to being contacted by automated means. I understand that my consent to receive calls or texts is not a condition of purchasing any property, goods, or services. Alternatively, I understand that I can access real estate services by email or I can contact the agent myself.

If a BHGRE®  affiliated agent is not available in the area where I need assistance, I agree to be contacted by a real estate agent affiliated with another brand owned or licensed by Anywhere Real Estate (CENTURY 21® , Coldwell Banker® , Corcoran® , ERA® , Sotheby's International Realty® ).
 I acknowledge that I have read and agree to theTerms of useandPrivacy notice

Home facts

  • Listing ID #:SW25267564
  • Added:55 day(s) ago
  • Updated:January 23, 2026 at 11:37 AM

Structure and exterior

  • Lot area:9.47 Acres

Utilities

  • Sewer:Sewer Not Available

Finances and disclosures

  • Price:$48,000
The information being provided by California Regional MLS (Southern California) is for the consumer's personal, non-commercial use and may not be used for any purpose other than to identify prospective properties consumer may be interested in purchasing. Any information relating to real estate for sale referenced on this web site comes from the Internet Data Exchange (IDX) program of the California Regional MLS (Southern California). Better Homes and Gardens Real Estate Property Shoppe is not a Multiple Listing Service (MLS), nor does it offer MLS access. This website is a service of Better Homes and Gardens Real Estate Property Shoppe, a broker participant of California Regional MLS (Southern California). This web site may reference real estate listing(s) held by a brokerage firm other than the broker and/or agent who owns this web site. The accuracy of all information, regardless of source, including but not limited to open house information, square footages and lot sizes, is deemed reliable but not guaranteed and should be personally verified through personal inspection by and/or with the appropriate professionals. The data contained herein is copyrighted by California Regional MLS (Southern California) and is protected by all applicable copyright laws. Any unauthorized dissemination of this information is in violation of copyright laws and is strictly prohibited. Copyright 2021 California Regional MLS (Southern California). All rights reserved.