0 Redwood Rd, Oakland, CA 94619

Local realty services provided by:Better Homes and Gardens Real Estate Wine Country Group
0 Redwood Rd,Oakland, CA 94619
$600,000
  • 0.54 Acres
  • Lots / Land
  • Active
Listed by: natella belicheva
Office: alpha group realty
MLS#:41106996
Source:CRMLS

Price summary

  • Price:$600,000

About this home

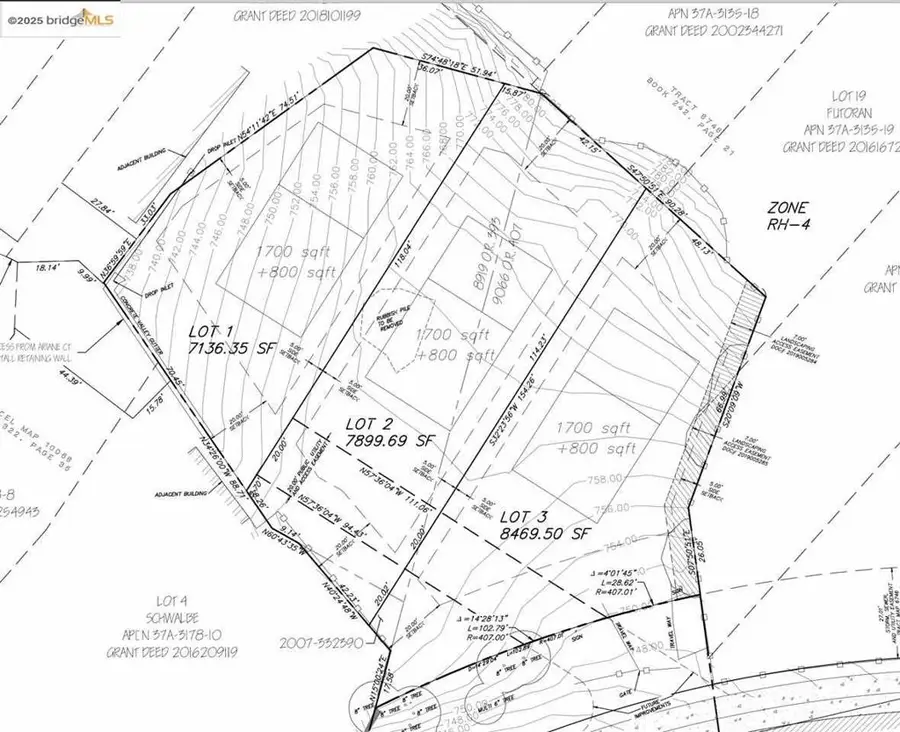
Over half an acre of gentle sloping land in the Oakland Hills. This prime building lot that could be subdivided into two or three lots. Build your dream home on beautiful lot with Pinto Playground, Leona Heights Park and Bay views nestled among multi million custom homes. An ideal for a financially qualified contractor who has experience and knowledge of hill constructions. Utilities are available at the street, none are onsite. Easy freeway access to San Francisco and the Peninsula. A great opportunity to build one or two custom homes with spectacular views. Zoning: In addition to the General Plan designation, the current Zoning District designation of the site is RH-4 (Hillside Residential, Zone 4), which is a low-density residential district. This district also allows some uses other than residential either by right or pursuant to approval of a Conditional Use Permit. Any future use would need to be evaluated pursuant to this classification.

Contact an agent

contact an agent

Yes, I would like more information. Please use and/or share my information with a BHGRE®  affiliated agent to contact me about my real estate needs. By clicking Send message, I request to be contacted by phone or text message and consent to being contacted by automated means. I understand that my consent to receive calls or texts is not a condition of purchasing any property, goods, or services. Alternatively, I understand that I can access real estate services by email or I can contact the agent myself.

If a BHGRE®  affiliated agent is not available in the area where I need assistance, I agree to be contacted by a real estate agent affiliated with another brand owned or licensed by Anywhere Real Estate (CENTURY 21® , Coldwell Banker® , Corcoran® , ERA® , Sotheby's International Realty® ).
 I acknowledge that I have read and agree to theTerms of useandPrivacy notice

Home facts

  • Listing ID #:41106996
  • Added:139 day(s) ago
  • Updated:December 19, 2025 at 02:14 PM

Structure and exterior

  • Lot area:0.54 Acres

Finances and disclosures

  • Price:$600,000
Based on information from California Regional Multiple Listing Service, Inc. as of December 20, 2025 . This information is for your personal, non-commercial use and may not be used for any purpose other than to identify prospective properties you may be interested in purchasing. Display of MLS data is usually deemed reliable but is NOT guaranteed accurate by the MLS. Buyers are responsible for verifying the accuracy of all information and should investigate the data themselves or retain appropriate professionals. Information from sources other than the Listing Agent may have been included in the MLS data. Unless otherwise specified in writing, Broker/Agent has not and will not verify any information obtained from other sources. The Broker/Agent providing the information contained herein may or may not have been the Listing and/or Selling Agent. The information provided is for consumers' personal, non-commercial use and may not be used for any purpose other than to identify prospective properties consumers may be interested in purchasing. All properties are subject to prior sale or withdrawal. All information provided is deemed reliable but is not guaranteed accurate, and should be independently verified.