3978 Mary Avenue, Olivehurst, CA 95961
Local realty services provided by:Better Homes and Gardens Real Estate Royal & Associates
3978 Mary Avenue,Olivehurst, CA 95961
$2,650,000
- 27.17 Acres
- Lots / Land
- Active
Listed by: gregory quilty
Office: coldwell banker commercial - valley brokers
MLS#:226043092
Source:MFMLS
Price summary
- Price:$2,650,000
About this home
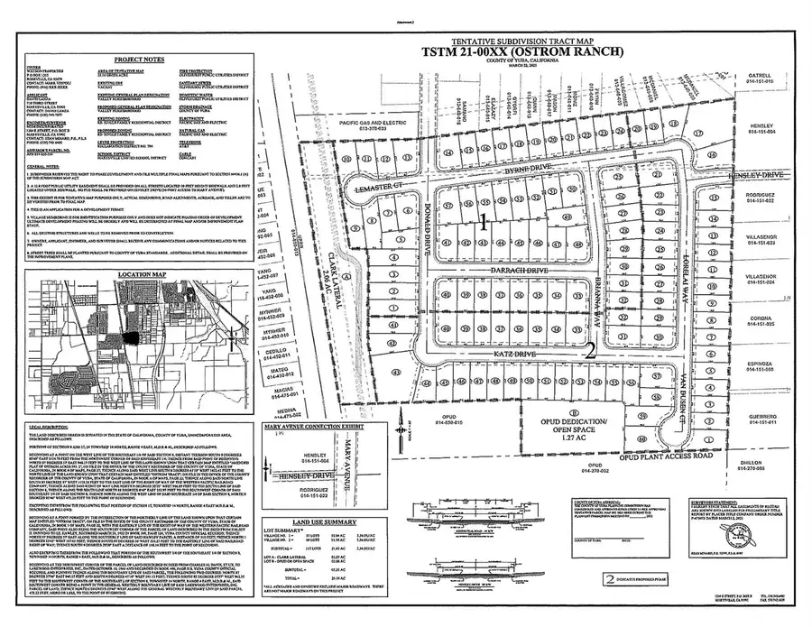
Welcome to Ostrom Ranch. The project consists of a tentative subdivision tract map that would create 117 residential lots on 21.83 acres, a Lot A - Clark Lateral on 1.27 acres, and a Lot B - OPUD or Open Space on 2.06 acres of a 25.16-acre property. The project site is located at 3978 Unit #A Mary Avenue, at the south end of Donald Drive and 350 feet west of Mary Avenue, in the Olivehurst Community (APN: 014-850-014-000). The site is bordered by Mary Avenue to the east, the Union Pacific railroad (UPRR) tracks to the west, and the Olivehurst Public Utility District's (OPUD) Wastewater Treatment Facility to the south. The 2030 General Plan designates the land use as Valley Neighborhood and the zoning is RS'' Single Family Residential. The Ostrom Ranch Subdivision proposes 117 residences on roughly 25 acres for a density of 4.65 dwelling units per acre. The RS'' zoning allows a density on the site of 3 to 8 units per care. The property is currently undeveloped and vacant. Access will be on Donald Drive and a new 30 foot road, Hensley Drive, off of Mary Avenue. There are six new internal street proposed: Donald Drive, Bryne Drive, Brianna Way, Darrach Drive, Katz Drive, and Lorelai Way that will meet the 48 foot residential road width requirements. All roads will be required to be built to County Urban Local Road standards as a Condition of Approval of the map....
Contact an agent
Home facts
- Listing ID #:226043092
- Added:49 day(s) ago
- Updated:May 28, 2026 at 02:51 PM
Structure and exterior
- Lot area:27.17 Acres
- Lot Features:Shape Regular
Finances and disclosures
- Price:$2,650,000
New listings near 3978 Mary Avenue
- New
$625,000Active3 beds 2 baths1,832 sq. ft.1559 Irish Draught Way, Olivehurst, CA 95961
MLS# 226058325Listed by: EXP REALTY OF CALIFORNIA INC. - New
$529,000Active4 beds 2 baths2,333 sq. ft.1579 Ivy Hatch Way, Olivehurst, CA 95961
MLS# 226064617Listed by: EXP REALTY OF CALIFORNIA INC. - New
$384,900Active4 beds 2 baths1,170 sq. ft.1994 18th Street, Olivehurst, CA 95961
MLS# 226063865Listed by: APEX REALTY GROUP - New
$419,900Active4 beds 2 baths1,520 sq. ft.1527 9th Avenue, Olivehurst, CA 95961
MLS# 226064288Listed by: KELLER WILLIAMS REALTY-YUBA SUTTER - New
$430,000Active3 beds 2 baths1,714 sq. ft.1729 Hicks Avenue, Olivehurst, CA 95961
MLS# 226064935Listed by: MALLOW REAL ESTATE SERVICES
$299,000Pending3 beds 1 baths925 sq. ft.2089 Virgilia Lane, Olivehurst, CA 95961
MLS# 226062894Listed by: GUIDE REAL ESTATE- New
$375,000Active4 beds 2 baths1,660 sq. ft.1946 16th Street, Olivehurst, CA 95961
MLS# 226064327Listed by: SUTTER BUTTES REAL ESTATE
$455,000Pending3 beds 2 baths1,980 sq. ft.1254 Jewelflower Street, Plumas Lake, CA 95961
MLS# 226064156Listed by: LOUISE'S REAL ESTATE- New
$395,000Active4 beds 2 baths1,300 sq. ft.4581 Meadow Way, Olivehurst, CA 95961
MLS# 226064045Listed by: LPT REALTY, INC - New
$559,000Active3 beds 2 baths1,789 sq. ft.1113 Tributary Way, Olivehurst, CA 95961
MLS# 226058178Listed by: EXP REALTY OF NORTHERN CALIFORNIA, INC.