0 65th St East Near Ave R-4, Pearblossom, CA 93553

Local realty services provided by:Better Homes and Gardens Real Estate Napolitano & Associates
0 65th St East Near Ave R-4,Palmdale, CA 93553
$279,900
  • 0 Acres
  • Lots / Land
  • Active
Listed by: karmen mastin
Office: big valley real estate
MLS#:SR24201397
Source:San Diego MLS via CRMLS

Price summary

  • Price:$279,900

About this home

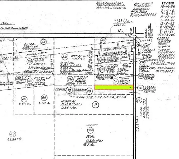
A builder's bundle! Four contiguous parcels totaling just under 5 acres in a prime East Palmdale location within walking distance of schools and park. Paved street frontage with water and electricity along 65th Street, sewer in the street at Ave R-4, and nice existing homes all around. A great opportunity with the potential to build one home, four homes - or subdivide for more! Zoned Single-Family Residential 3 (SFR 3), intended for detached single-family subdivisions containing the City's standard 7,000 square foot minimum lot size (at a maximum of six dwelling units per acre). Check with the City of Palmdale Planning Department for more information on possible uses for these parcels. Includes APNs 3024-009-017, 3024-009-019, 3024-009-044 and 3024-009-063. Package priced for a cash sale. Fantastic potential in a great location! *Buyer to make their own independent investigations regarding Zoning & General Plan Designations, Environmental & Hazard Zones, Access & Development Costs,...

Contact an agent

contact an agent

Yes, I would like more information. Please use and/or share my information with a BHGRE®  affiliated agent to contact me about my real estate needs. By clicking Send message, I request to be contacted by phone or text message and consent to being contacted by automated means. I understand that my consent to receive calls or texts is not a condition of purchasing any property, goods, or services. Alternatively, I understand that I can access real estate services by email or I can contact the agent myself.

If a BHGRE®  affiliated agent is not available in the area where I need assistance, I agree to be contacted by a real estate agent affiliated with another brand owned or licensed by Anywhere Real Estate (CENTURY 21® , Coldwell Banker® , Corcoran® , ERA® , Sotheby's International Realty® ).
 I acknowledge that I have read and agree to theTerms of useandPrivacy notice

Home facts

  • Listing ID #:SR24201397
  • Added:554 day(s) ago
  • Updated:April 05, 2026 at 01:43 PM

Finances and disclosures

  • Price:$279,900
MLS LogoThis information is deemed reliable but not guaranteed. You should rely on this information only to decide whether or not to further investigate a particular property. BEFORE MAKING ANY OTHER DECISION, YOU SHOULD PERSONALLY INVESTIGATE THE FACTS (e.g. square footage and lot size) with the assistance of an appropriate professional. You may use this information only to identify properties you may be interested in investigating further. All uses except for personal, non-commercial use in accordance with the foregoing purpose are prohibited. Redistribution or copying of this information, any photographs or video tours is strictly prohibited. This information is derived from the Internet Data Exchange (IDX) service provided by San Diego MLS®. Displayed property listings may be held by a brokerage firm other than the broker and/or agent responsible for this display. The information and any photographs and video tours and the compilation from which they are derived is protected by copyright. Compilation © 2020 San Diego MLS®, Inc.