0 Sr-138, Pinon Hills, CA 92372

Local realty services provided by:Better Homes and Gardens Real Estate Property Shoppe
0 Sr-138,Pinon Hills, CA 92372
$96,000
  • 3 Acres
  • Lots / Land
  • Active
Listed by: aiden schmidt
Office: kursch group, inc.760-983-2383
MLS#:HD25129967
Source:CRMLS

Price summary

  • Price:$96,000

About this home

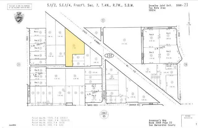
Prime commercial vacant land opportunity along SR-138! This ±3-acre site provides exceptional visibility with approximately 425 feet of frontage along a major thoroughfare between the Antelope Valley and Inland Empire seeing an average of ±42,000 vehicles daily. The site, zoned General Commercial, provides an excellent location for retail, service, or commercial development to serve the growing communities of Pinon Hills and Phelan, as well as the steady flow of commuter traffic. There is a water line situated along the southern boundary with a water meter placed on site, providing a benefit to potential developers. Perfectly positioned for growth in this vibrant, high-visibility location. Buyer to verify all information contained herein.

Contact an agent

contact an agent

Yes, I would like more information. Please use and/or share my information with a BHGRE®  affiliated agent to contact me about my real estate needs. By clicking Send message, I request to be contacted by phone or text message and consent to being contacted by automated means. I understand that my consent to receive calls or texts is not a condition of purchasing any property, goods, or services. Alternatively, I understand that I can access real estate services by email or I can contact the agent myself.

If a BHGRE®  affiliated agent is not available in the area where I need assistance, I agree to be contacted by a real estate agent affiliated with another brand owned or licensed by Anywhere Real Estate (CENTURY 21® , Coldwell Banker® , Corcoran® , ERA® , Sotheby's International Realty® ).
 I acknowledge that I have read and agree to theTerms of useandPrivacy notice

Home facts

  • Listing ID #:HD25129967
  • Added:339 day(s) ago
  • Updated:May 16, 2026 at 01:12 PM

Structure and exterior

  • Lot area:3 Acres
  • Lot Features:Lot Over 40000 Sqft

Finances and disclosures

  • Price:$96,000
Based on information from California Regional Multiple Listing Service, Inc. as of May 16, 2026 . This information is for your personal, non-commercial use and may not be used for any purpose other than to identify prospective properties you may be interested in purchasing. Display of MLS data is usually deemed reliable but is NOT guaranteed accurate by the MLS. Buyers are responsible for verifying the accuracy of all information and should investigate the data themselves or retain appropriate professionals. Information from sources other than the Listing Agent may have been included in the MLS data. Unless otherwise specified in writing, Broker/Agent has not and will not verify any information obtained from other sources. The Broker/Agent providing the information contained herein may or may not have been the Listing and/or Selling Agent. The information provided is for consumers' personal, non-commercial use and may not be used for any purpose other than to identify prospective properties consumers may be interested in purchasing. All properties are subject to prior sale or withdrawal. All information provided is deemed reliable but is not guaranteed accurate, and should be independently verified.