1351 S Santa Fe Avenue, Vista, CA 92084
Local realty services provided by:Better Homes and Gardens Real Estate Wine Country Group
1351 S Santa Fe Avenue,Vista, CA 92084
$3,250,000
- 3.36 Acres
- Lots / Land
- Active
Listed by: jordan petito
Office: keller williams beverly hills310-432-6400
MLS#:25617403
Source:CRMLS
Price summary
- Price:$3,250,000
About this home
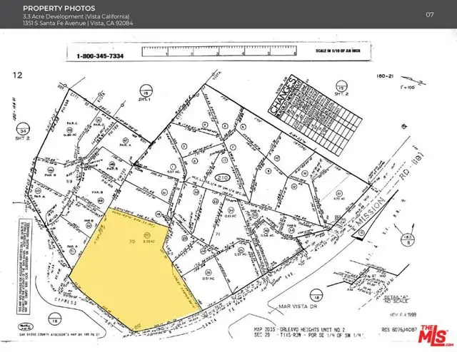
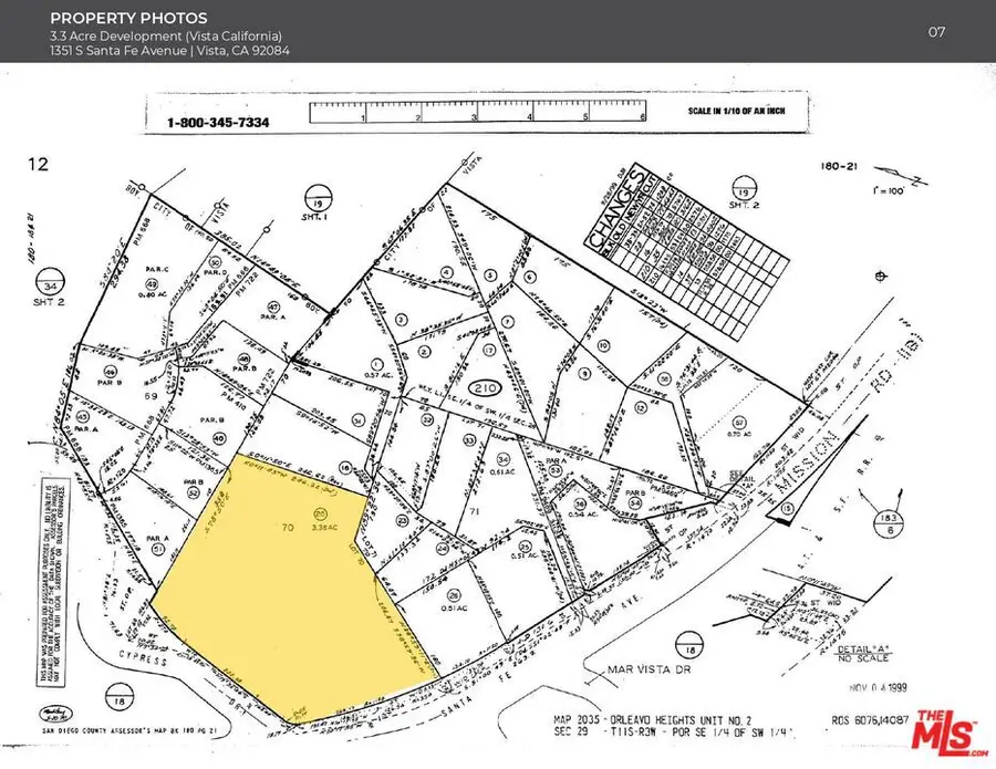
We are proud to exclusively present the Vista California Development located at 1351 S Santa Fe Avenue, Vista, California. This 3.36-acre (146,361 SF) corner parcel, zoned R-M (Medium Density Residential), is prominently situated along the South Santa Fe Avenue Corridor an area undergoing significant transformation under the City of Vista's South Santa Fe Corridor Specific Plan. The property features topography, 290 feet of frontage, and full utility access, creating an ideal foundation for a streamlined and high-quality residential development opportunity. Positioned within a rapidly growing North San Diego County submarket with a population exceeding 100,000 residents, the site sits directly across from a newly completed townhome community and is surrounded by housing, schools, and local retail amenities. Vista continues to experience strong demographic growth, supported by a median household income of approximately $78,800 within one mile, reflecting robust local demand for attainable and modern housing options. The property's R-M zoning offers flexibility for small-lot, townhome, or condominium projects, allowing builders to capture both for-sale and for-rent housing demand. With utilities to the street, no replacement housing requirements, and inclusion in an active redevelopment corridor, the site provides a clear entitlement path and favorable economics for a range of residential configurations. Its strategic proximity to major employment and educational hubs, Kaiser Permanente Vista, Tri-City Medical Center, and California State University San Marcos further strengthens the project's long-term viability and absorption potential. Located minutes from North County Square, Vista Village Center, and LEGOLAND California, the property also enjoys excellent regional connectivity via Highway 78, Interstate 5, and Interstate 15. With its combination of scale, zoning, infrastructure readiness, and prime corner positioning within one of North County's most active residential corridors, 1351 S Santa Fe Avenue represents a premier infill development opportunity offering both immediate feasibility and strong long-term appreciation potential....
Contact an agent
Home facts
- Listing ID #:25617403
- Added:151 day(s) ago
- Updated:April 11, 2026 at 10:45 AM
Structure and exterior
- Lot area:3.36 Acres
Finances and disclosures
- Price:$3,250,000
New listings near 1351 S Santa Fe Avenue
- New
$1,500,000Active3 beds 3 baths2,073 sq. ft.954 Miramar Drive, Vista, CA 92081
MLS# NDP2603480Listed by: REAL BROKER - Open Sun, 1 to 4pmNew
$1,249,900Active4 beds 3 baths3,080 sq. ft.1331 Barbara Drive, Vista, CA 92084
MLS# NDP2602788Listed by: COLDWELL BANKER REALTY - New
$799,000Active3 beds 3 baths1,790 sq. ft.1213 Navel, Vista, CA 92081
MLS# 260008470SDListed by: LPT REALTY,INC - New
$2,895,000Active-- beds -- baths490 Lado De Loma Dr #1-4, Vista, CA 92083
MLS# 260008453SDListed by: KELLER WILLIAMS REALTY - Open Sat, 12 to 3pmNew
$795,000Active3 beds 3 baths1,918 sq. ft.505 Pinedale, Vista, CA 92081
MLS# 260008421SDListed by: REDFIN CORPORATION - Open Sat, 1 to 4pmNew
$669,000Active3 beds 3 baths1,426 sq. ft.1772 Promenade Cir, Vista, CA 92083
MLS# 260008376Listed by: EXP REALTY OF CALIFORNIA, INC. - Open Sun, 1 to 4pmNew
$669,000Active3 beds 3 baths1,426 sq. ft.1772 Promenade Cir, Vista, CA 92083
MLS# 260008376SDListed by: EXP REALTY OF CALIFORNIA, INC. - Open Sun, 1 to 4pmNew
$669,000Active3 beds 3 baths1,426 sq. ft.1772 Promenade Cir, Vista, CA 92083
MLS# 260008376SDListed by: EXP REALTY OF CALIFORNIA, INC. - Open Sat, 1 to 4pmNew
$1,749,000Active3 beds 4 baths3,106 sq. ft.29509 Hoxie Ranch Rd, Vista, CA 92084
MLS# 260008365SDListed by: HUNTER & MADDOX INTL. INC. - New
$299,000Active2 beds 2 baths1,440 sq. ft.1600 E Vista Way #84, Vista, CA 92084
MLS# NDP2603401Listed by: LPT REALTY