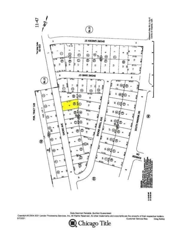
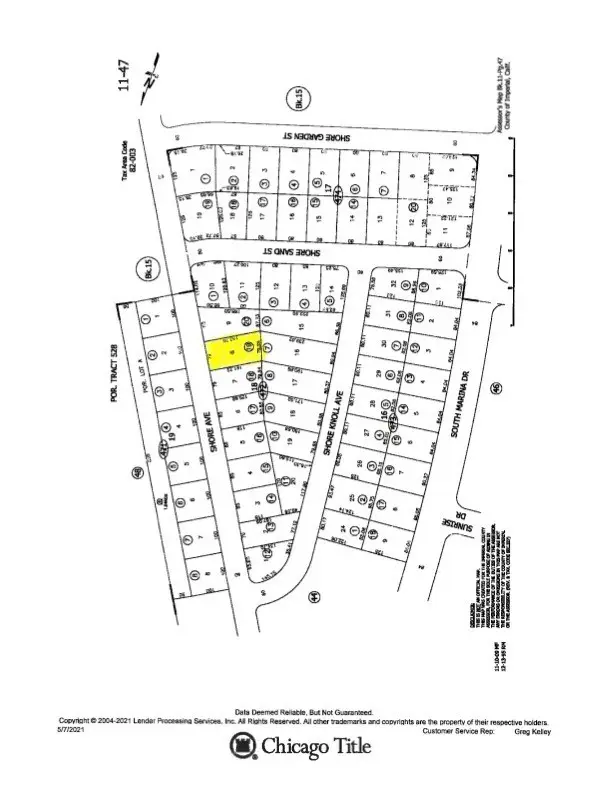
2261 Shore Avenue, West Imperial, CA 92274
Local realty services provided by:Better Homes and Gardens Real Estate Royal & Associates
2261 Shore Avenue,Salton City, CA 92274
$12,500
- 0.23 Acres
- Lots / Land
- Active
Listed by:anthony leocadio
Office:circa properties, inc.
MLS#:CRPW25183749
Source:CA_BRIDGEMLS
Price summary
- Price:$12,500
About this home
BRING YOUR OFFERS! Conveniently located 9,965 sq. ft. lot centrally located close to shopping, schools, gas, post office and Hwy 86. Utilities in street and at rear of property. Build your own home with room for toys and garage. You own the land, No HOA's. Lower IID electric in this area. Area known for its gorgeous winter weather. Area also very popular with permanent residence as well as weekend off road and RV enthusiast. Midway between Imperial Counties cities of Brawley, Imperial and Riverside County cities of Thermal and Indio. Your getaway but still a close enough commute to busier city life. Have second lot also for sale on street APN#011-472-019-000 Agent is Seller of record. Call with any questions; English speaking- Tony 714-673-7363 Spanish speaking- Mayra 714-381-0989 Agent is Seller of record. ***Agent strongly advises buyer to complete all inspections and investigations to satisfy themselves to the current condition of the subject property. Including but not limited Building Permits, Plumbing, Electrical, location, zoning, Lot Lines, Land/Soil and any other possible area of concerns. Best practices related to entering a sellers property
Contact an agent
Home facts
- Listing ID #:CRPW25183749
- Added:377 day(s) ago
- Updated:October 15, 2025 at 04:56 PM
Rooms and interior
- Living area:9,965 sq. ft.
Structure and exterior
- Building area:9,965 sq. ft.
- Lot area:0.23 Acres
Finances and disclosures
- Price:$12,500
New listings near 2261 Shore Avenue
- New$260,000Active3 beds 2 baths1,050 sq. ft.
1342 Carpenteria Avenue, Thermal, CA 92274
MLS# 219137005DAListed by: DARRYL JOEL FREED, BROKER - New$289,000Active3 beds 2 baths1,435 sq. ft.
1390 Curtis, Thermal, CA 92274
MLS# TR25237679Listed by: HOMECOIN.COM - New$259,000Active2 beds 1 baths1,000 sq. ft.
2154 Riviera Circle, Thermal, CA 92274
MLS# 219136816Listed by: HOMESMART - New$270,000Active3 beds 2 baths1,150 sq. ft.
1348 Persimmon, Thermal, CA 92274
MLS# CRIG25236974Listed by: KELLER WILLIAMS-LA QUINTA - New$270,000Active3 beds 2 baths1,150 sq. ft.
1348 Persimmon, Thermal, CA 92274
MLS# IG25236974Listed by: KELLER WILLIAMS-LA QUINTA - New$17,500Active0 Acres
2063 Venus Ave #08, Thermal, CA 92274
MLS# 250041281Listed by: EXP REALTY OF SOUTHERN CALIFORNIA, INC. - New$13,500Active0.23 Acres
2396 Marlin Drive, Thermal, CA 92274
MLS# 250041276SDListed by: EXP REALTY OF SOUTHERN CALIFORNIA, INC. - New$17,500Active0.36 Acres
2063 Venus Ave, Thermal, CA 92274
MLS# 250041281SDListed by: EXP REALTY OF SOUTHERN CALIFORNIA, INC. - New$13,500Active0.23 Acres
2396 Marlin Drive, Thermal, CA 92274
MLS# 250041276SDListed by: EXP REALTY OF SOUTHERN CALIFORNIA, INC. - New$17,500Active0.36 Acres
2063 Venus Ave, Thermal, CA 92274
MLS# 250041281SDListed by: EXP REALTY OF SOUTHERN CALIFORNIA, INC.