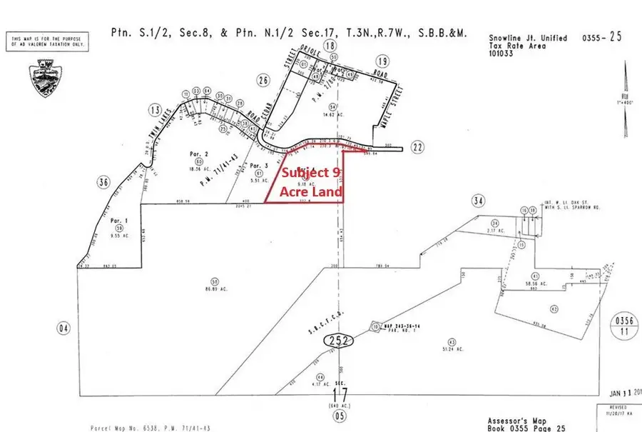
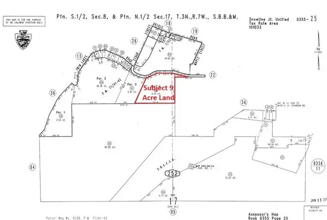
0 Linnet Road, Wrightwood, CA 92397

Local realty services provided by:Better Homes and Gardens Real Estate Wine Country Group
0 Linnet Road,Wrightwood, CA 92397
$575,000
  • 9.18 Acres
  • Lots / Land
  • Active
Listed by: mohammad alam
Office: alam realty760-247-6655
MLS#:HD26040345
Source:CRMLS

Price summary

  • Price:$575,000

About this home

About 9 plus acre prime land located in Wrightwood California near Mountain High Ski Resort. This ski resort considered one of the most popular winter desalination for millions of visitors per year. Mountain High is the closest ski resort from LA, Orange and San Diego county. ZONED FOR HORSES!! A perfect location to build a mountain estate, ranch, vacation lodge, retreat center, religious worship center and more (Buyer to verify zoning). This property has breath taking mountain views and national Forrest. Seller was on the process of building a custom ranch home and many county required tests already completed which will save new buyer significant study cost. Only 3 minutes drive to down town Wrightwood a mountain town with many vacation motels, hotels, lodges, restaurants, super markets, many ski and bike shops. One of the largest build-able lot on the market. THIS GORGEOUS HILLSIDE IS LOCATED IN THE WRIGHTWOOD MOUNTAINS BORDERING THE COUNTRY CLUB. PERFECT FOR A BUILDER THAT WANTS TO...

Contact an agent

contact an agent

Yes, I would like more information. Please use and/or share my information with a BHGRE®  affiliated agent to contact me about my real estate needs. By clicking Send message, I request to be contacted by phone or text message and consent to being contacted by automated means. I understand that my consent to receive calls or texts is not a condition of purchasing any property, goods, or services. Alternatively, I understand that I can access real estate services by email or I can contact the agent myself.

If a BHGRE®  affiliated agent is not available in the area where I need assistance, I agree to be contacted by a real estate agent affiliated with another brand owned or licensed by Anywhere Real Estate (CENTURY 21® , Coldwell Banker® , Corcoran® , ERA® , Sotheby's International Realty® ).
 I acknowledge that I have read and agree to theTerms of useandPrivacy notice

Home facts

  • Listing ID #:HD26040345
  • Added:54 day(s) ago
  • Updated:April 19, 2026 at 10:34 AM

Structure and exterior

  • Lot area:9.18 Acres
  • Lot Features:Lot Over 40000 Sqft

Utilities

  • Sewer:Sewer Not Available

Finances and disclosures

  • Price:$575,000
The information being provided by California Regional MLS (Southern California) is for the consumer's personal, non-commercial use and may not be used for any purpose other than to identify prospective properties consumer may be interested in purchasing. Any information relating to real estate for sale referenced on this web site comes from the Internet Data Exchange (IDX) program of the California Regional MLS (Southern California). Better Homes and Gardens Real Estate Wine Country Group is not a Multiple Listing Service (MLS), nor does it offer MLS access. This website is a service of Better Homes and Gardens Real Estate Wine Country Group, a broker participant of California Regional MLS (Southern California). This web site may reference real estate listing(s) held by a brokerage firm other than the broker and/or agent who owns this web site. The accuracy of all information, regardless of source, including but not limited to open house information, square footages and lot sizes, is deemed reliable but not guaranteed and should be personally verified through personal inspection by and/or with the appropriate professionals. The data contained herein is copyrighted by California Regional MLS (Southern California) and is protected by all applicable copyright laws. Any unauthorized dissemination of this information is in violation of copyright laws and is strictly prohibited. Copyright 2021 California Regional MLS (Southern California). All rights reserved.