0 Linnet, Wrightwood, CA 92397

Local realty services provided by:Better Homes and Gardens Real Estate Clarity
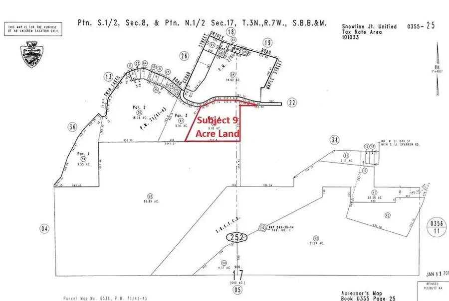
0 Linnet,Wrightwood, CA 92397
$575,000
  • 0 Acres
  • Lots / Land
  • Active
Listed by: mohammad alam
Office: alam realty
MLS#:HD26040345
Source:San Diego MLS via CRMLS

Price summary

  • Price:$575,000

About this home

About 9 plus acre prime land located in Wrightwood California near Mountain High Ski Resort. This ski resort considered one of the most popular winter desalination for millions of visitors per year. Mountain High is the closest ski resort from LA, Orange and San Diego county. ZONED FOR HORSES!! A perfect location to build a mountain estate, ranch, vacation lodge, retreat center, religious worship center and more (Buyer to verify zoning). This property has breath taking mountain views and national Forrest. Seller was on the process of building a custom ranch home and many county required tests already completed which will save new buyer significant study cost. Only 3 minutes drive to down town Wrightwood a mountain town with many vacation motels, hotels, lodges, restaurants, super markets, many ski and bike shops. One of the largest build-able lot on the market. THIS GORGEOUS HILLSIDE IS LOCATED IN THE WRIGHTWOOD MOUNTAINS BORDERING THE COUNTRY CLUB. PERFECT FOR A BUILDER THAT WANTS TO...

Contact an agent

contact an agent

Yes, I would like more information. Please use and/or share my information with a BHGRE®  affiliated agent to contact me about my real estate needs. By clicking Send message, I request to be contacted by phone or text message and consent to being contacted by automated means. I understand that my consent to receive calls or texts is not a condition of purchasing any property, goods, or services. Alternatively, I understand that I can access real estate services by email or I can contact the agent myself.

If a BHGRE®  affiliated agent is not available in the area where I need assistance, I agree to be contacted by a real estate agent affiliated with another brand owned or licensed by Anywhere Real Estate (CENTURY 21® , Coldwell Banker® , Corcoran® , ERA® , Sotheby's International Realty® ).
 I acknowledge that I have read and agree to theTerms of useandPrivacy notice

Home facts

  • Listing ID #:HD26040345
  • Added:18 day(s) ago
  • Updated:March 15, 2026 at 02:26 PM

Finances and disclosures

  • Price:$575,000
MLS LogoThis information is deemed reliable but not guaranteed. You should rely on this information only to decide whether or not to further investigate a particular property. BEFORE MAKING ANY OTHER DECISION, YOU SHOULD PERSONALLY INVESTIGATE THE FACTS (e.g. square footage and lot size) with the assistance of an appropriate professional. You may use this information only to identify properties you may be interested in investigating further. All uses except for personal, non-commercial use in accordance with the foregoing purpose are prohibited. Redistribution or copying of this information, any photographs or video tours is strictly prohibited. This information is derived from the Internet Data Exchange (IDX) service provided by San Diego MLS®. Displayed property listings may be held by a brokerage firm other than the broker and/or agent responsible for this display. The information and any photographs and video tours and the compilation from which they are derived is protected by copyright. Compilation © 2020 San Diego MLS®, Inc.