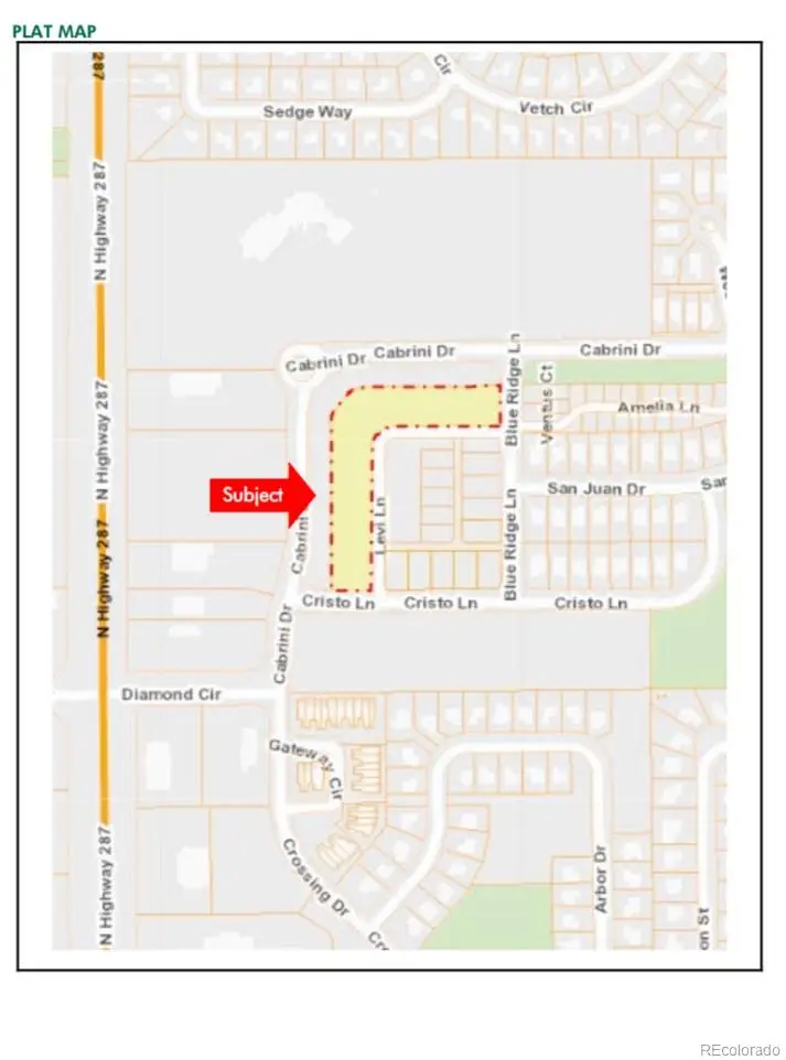
411 Levi Lane, Lafayette, CO 80026
Local realty services provided by:Better Homes and Gardens Real Estate Kenney & Company
411 Levi Lane,Lafayette, CO 80026
$4,995,000
- 1.83 Acres
- Lots / Land
- Active
Listed by: natalie kovalenkoGHomes.VK@gmail.com,720-560-3169
Office: golden key real estate
MLS#:5748318
Source:ML
Price summary
- Price:$4,995,000
About this home
RARE OPPORTUNITY FOR BUILDERS AND INVESTORS! THIS 1.832-ACRE PARCEL OF LAND IS READY TO START THE BUILDING PROCESS, WITH ENTITLEMENTS IN PLACE FOR THE CONSTRUCTION OF 56 RESIDENTIAL UNITS. THE APPROVED PLANS INCLUDE 12-PLEX BUILDINGS AND ONE 8-PLEX BUILDING (ENTITLED FOR 56 UNITS), ALL FEATURING SPACIOUS 2-BEDROOM, 2-BATH UNITS. THIS PROJECT IS DESIGNED AS CLASS A PROPERTY, COMPLETE WITH ELEVATORS FOR ADDED CONVENIENCE AND LUXURY. THIS LAND IS GRANDFATHERED INTO OLD WATER RIGHTS, OFFERING A SIGNIFICANT ADVANTAGE IN TERMS OF RESOURCE ACCESS AND COST-EFFICIENCY. ALL ESSENTIAL INFRASTRUCTURE IS ALREADY COMPLETE, INCLUDING PARKING, SIDEWALKS AND OTHER KEY UTILITIES, ALLOWING FOR A STREAMLINED DEVELOPMENT PROCESS. THIS PRIME SITE IS IDEAL FOR THOSE LOOKING TO CAPITALIZE ON A WELL-ENTITLED AND FULLY PREPARED PROJECT. MAKING IT AN EXCELLENT CHOICE FOR A QUICK AND PROFITABLE DEVELOPMENT.
Contact an agent
Home facts
- Listing ID #:5748318
Structure and exterior
- Lot area:1.83 Acres
Utilities
- Water:Public
- Sewer:Public Sewer
Finances and disclosures
- Price:$4,995,000
- Tax amount:$41,619 (2024)
New listings near 411 Levi Lane
- Coming Soon
$1,185,900Coming Soon4 beds 4 baths2822 Cascade Creek Drive, Lafayette, CO 80026
MLS# IR1048754Listed by: STACEY RICHTER - New
$625,000Active3 beds 2 baths1,284 sq. ft.112 Starline Avenue, Lafayette, CO 80026
MLS# 7452808Listed by: BERKSHIRE HATHAWAY HOMESERVICES COLORADO REAL ESTATE, LLC ERIE - New
$525,000Active3 beds 3 baths2,180 sq. ft.615 Casper Drive, Lafayette, CO 80026
MLS# 6136910Listed by: YOU 1ST REALTY - New
$873,390Active4 beds 4 baths2,786 sq. ft.1402 Loraine Circle S, Lafayette, CO 80026
MLS# 8200818Listed by: LANDMARK RESIDENTIAL BROKERAGE - New
$962,800Active4 beds 5 baths4,549 sq. ft.2513 Bailey Lane, Erie, CO 80026
MLS# 5186295Listed by: LANDMARK RESIDENTIAL BROKERAGE - New
$898,340Active4 beds 4 baths4,051 sq. ft.2561 Bailey Lane, Lafayette, CO 80026
MLS# 7643186Listed by: LANDMARK RESIDENTIAL BROKERAGE - New
$1,062,370Active5 beds 4 baths4,749 sq. ft.1451 Bailey Place, Erie, CO 80026
MLS# 7959458Listed by: LANDMARK RESIDENTIAL BROKERAGE - New
$2,475,000Active5 beds 7 baths5,426 sq. ft.2590 Blue Heron Circle, Lafayette, CO 80026
MLS# 3927841Listed by: RE/MAX OF BOULDER - New
$968,110Active4 beds 5 baths4,549 sq. ft.2573 Bailey Lane, Lafayette, CO 80026
MLS# 3228618Listed by: LANDMARK RESIDENTIAL BROKERAGE - New
$784,490Active3 beds 2 baths3,114 sq. ft.1412 Loraine Circle S, Lafayette, CO 80026
MLS# 4747645Listed by: LANDMARK RESIDENTIAL BROKERAGE