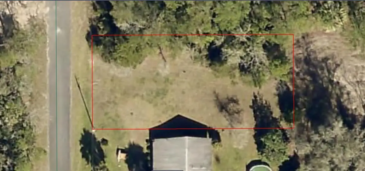
1808-005-047 SW Algiers Court, Dunnellon, FL 34431

Local realty services provided by:Better Homes and Gardens Real Estate Atchley Properties
1808-005-047 SW Algiers Court,Dunnellon, FL 34431
$17,000
  • 0.24 Acres
  • Lots / Land
  • Active
Listed by:sean seward, pa
Office:keller williams island life real estate
MLS#:A4669204
Source:MFRMLS

Price summary

  • Price:$17,000

About this home

A VACANT LOT IN DUNNELLON IN MARION COUNTY!!!

Contact an agent

contact an agent

Yes, I would like more information from BHGRE®. Please use and/or share my information with an BHGRE affiliated agent to contact me about my real estate needs. By clicking Send message, I agree an BHGRE affiliated agent may contact me by phone or text message including by automated means about real estate services, and that I can access real estate services without providing my phone number. I acknowledge that I have read and agree to theTerms of useandPrivacy notice

Home facts

  • Listing ID #:A4669204
  • Added:12 day(s) ago
  • Updated:November 03, 2025 at 03:53 PM

Structure and exterior

  • Lot area:0.24 Acres

Finances and disclosures

  • Price:$17,000
  • Tax amount:$182 (2024)
MLS LogoThe information being provided by Stellar Mls is for the consumer's personal, non-commercial use and may not be used for any purpose other than to identify prospective properties consumer may be interested in purchasing. Any information relating to real estate for sale referenced on this web site comes from the Internet Data Exchange (IDX) program of the Stellar Mls. Better Homes and Gardens Real Estate Atchley Properties is not a Multiple Listing Service (MLS), nor does it offer MLS access. This website is a service of Better Homes and Gardens Real Estate Atchley Properties, a broker participant of Stellar Mls. This web site may reference real estate listing(s) held by a brokerage firm other than the broker and/or agent who owns this web site. The accuracy of all information, regardless of source, including but not limited to open house information, square footages and lot sizes, is deemed reliable but not guaranteed and should be personally verified through personal inspection by and/or with the appropriate professionals. The data contained herein is copyrighted by Stellar Mls and is protected by all applicable copyright laws. Any unauthorized dissemination of this information is in violation of copyright laws and is strictly prohibited. Properties in listings may have been sold or may no longer be available. Copyright 2025 Stellar Mls. All rights reserved.