103rd Drive, Suwannee, FL 32071

Local realty services provided by:Better Homes and Gardens Real Estate Thomas Group
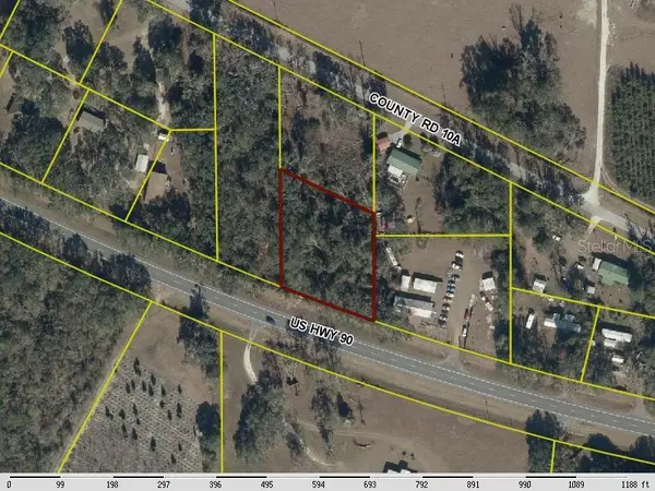
103rd Drive,O'Brien, FL 32071
$65,000
  • 4 Acres
  • Lots / Land
  • Active
Listed by: madison pinder
Office: horizon realty of alachua inc
MLS#:GC536129
Source:MFRMLS

Price summary

  • Price:$65,000

About this home

Upward-sloping lot with a prime build site at the top—perfect for those looking to take advantage of elevation, privacy, and nature views. The natural slope offers excellent drainage and a unique opportunity to create a standout homesite. This four-acre lot is HIGH and DRY! Private location with no HOA. Manufactured homes allowed. Not far from US-129 to allow an easy drive to McAlpin, Branford, or Live Oak. Check it out today!

Contact an agent

contact an agent

Yes, I would like more information. Please use and/or share my information with a BHGRE®  affiliated agent to contact me about my real estate needs. By clicking Send message, I request to be contacted by phone or text message and consent to being contacted by automated means. I understand that my consent to receive calls or texts is not a condition of purchasing any property, goods, or services. Alternatively, I understand that I can access real estate services by email or I can contact the agent myself.

If a BHGRE®  affiliated agent is not available in the area where I need assistance, I agree to be contacted by a real estate agent affiliated with another brand owned or licensed by Anywhere Real Estate (CENTURY 21® , Coldwell Banker® , Corcoran® , ERA® , Sotheby's International Realty® ).
 I acknowledge that I have read and agree to theTerms of useandPrivacy notice

Home facts

  • Listing ID #:GC536129
  • Added:101 day(s) ago
  • Updated:March 31, 2026 at 11:55 AM

Structure and exterior

  • Lot area:4 Acres
  • Levels:1 Story

Utilities

  • Water:Well Required
  • Sewer:Septic Needed

Finances and disclosures

  • Price:$65,000
  • Tax amount:$388 (2025)

Features and amenities

  • Amenities:Fiber Optics
  • Pool features:Public Pool
MLS LogoThe information being provided by Stellar Mls is for the consumer's personal, non-commercial use and may not be used for any purpose other than to identify prospective properties consumer may be interested in purchasing. Any information relating to real estate for sale referenced on this web site comes from the Internet Data Exchange (IDX) program of the Stellar Mls. Better Homes and Gardens Real Estate Thomas Group is not a Multiple Listing Service (MLS), nor does it offer MLS access. This website is a service of Better Homes and Gardens Real Estate Thomas Group, a broker participant of Stellar Mls. This web site may reference real estate listing(s) held by a brokerage firm other than the broker and/or agent who owns this web site. The accuracy of all information, regardless of source, including but not limited to open house information, square footages and lot sizes, is deemed reliable but not guaranteed and should be personally verified through personal inspection by and/or with the appropriate professionals. The data contained herein is copyrighted by Stellar Mls and is protected by all applicable copyright laws. Any unauthorized dissemination of this information is in violation of copyright laws and is strictly prohibited. Properties in listings may have been sold or may no longer be available. Copyright 2026 Stellar Mls. All rights reserved.