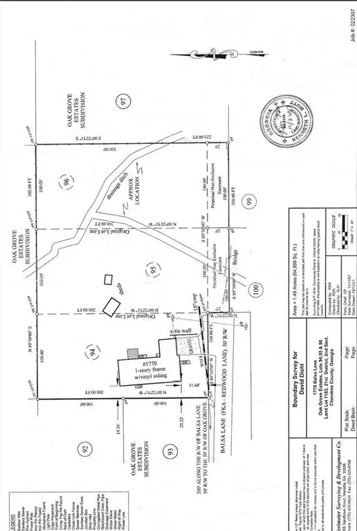
1768 Balsa Lane, Acworth, GA 30102
Local realty services provided by:Better Homes and Gardens Real Estate Metro Brokers
1768 Balsa Lane,Acworth, GA 30102
$75,000
- 0.45 Acres
- Lots / Land
- Active
Listed by:tina tighe678-631-8996
Office:atlanta communities
MLS#:7670478
Source:FIRSTMLS
Price summary
- Price:$75,000
About this home
Don’t miss this rare opportunity to own two adjoining parcels totaling 1.03 acres—one 0.45-acre lot and one 0.58-acre lot (Lots number 95 & 96)—being sold together as one. Located in the Etowah High School District! Build your dream home on a spacious combined 1+ acre lot, or take advantage of the option to separate and build two homes.
This beautiful, private setting features picturesque creeks running through the property, offering a peaceful and natural backdrop. One lot is cleared and relatively flat, ready for construction, while the other offers wooded privacy and nature views.
Picture yourself in your new dream home—sipping your morning coffee on the porch while listening to the birds and the gentle sound of running water from the creeks. Whether you’re a builder looking for your next project or a homeowner ready to create your perfect retreat, this property offers the space, serenity, and flexibility you’ve been looking for.
Contact an agent
Home facts
- Listing ID #:7670478
- Updated:October 30, 2025 at 11:15 AM
Structure and exterior
- Lot area:0.45 Acres
Schools
- High school:Etowah
- Middle school:E.T. Booth
- Elementary school:Clark Creek
Utilities
- Water:Water Available
Finances and disclosures
- Price:$75,000
- Tax amount:$336 (2024)
New listings near 1768 Balsa Lane
- New
$449,900Active4 beds 3 baths2,626 sq. ft.1182 Cool Springs Drive Nw, Kennesaw, GA 30144
MLS# 7674103Listed by: MAXIMUM ONE GREATER ATLANTA REALTORS - Coming Soon
$560,000Coming Soon6 beds 4 baths17 Carlton Court, Acworth, GA 30101
MLS# 7674699Listed by: MARK SPAIN REAL ESTATE - New
$429,900Active4 beds 3 baths3,158 sq. ft.6003 Fairlong Circle Nw, Acworth, GA 30101
MLS# 7672852Listed by: ATLANTA COMMUNITIES - New
$1,050,000Active10.2 Acres6412 Old Stilesboro Road Nw, Acworth, GA 30101
MLS# 7674352Listed by: KELLER WILLIAMS RLTY, FIRST ATLANTA - New
$305,000Active3 beds 3 baths1,640 sq. ft.240 Ridge Mill Drive, Acworth, GA 30102
MLS# 7674475Listed by: GEORGIA PLATINUM REALTY, LLC NORTH GA - Open Sun, 2 to 4pmNew
$390,000Active3 beds 2 baths1,934 sq. ft.174 Foxtail Pass, Acworth, GA 30101
MLS# 7674314Listed by: ATLANTA COMMUNITIES - New
$335,000Active3 beds 2 baths1,392 sq. ft.402 Royal Oak Drive, Acworth, GA 30102
MLS# 7674127Listed by: BERKSHIRE HATHAWAY HOMESERVICES GEORGIA PROPERTIES - Open Sun, 3 to 5pmNew
$305,000Active3 beds 3 baths1,540 sq. ft.3430 Town Square Drive Nw #1, Kennesaw, GA 30144
MLS# 7674197Listed by: ATLANTA COMMUNITIES - New
$324,500Active3 beds 3 baths1,948 sq. ft.403 Franklin Lane, Acworth, GA 30102
MLS# 7674210Listed by: 1 LOOK REAL ESTATE - Open Sun, 2 to 4pmNew
$599,900Active5 beds 5 baths4,452 sq. ft.632 Wexford Court, Acworth, GA 30102
MLS# 7674216Listed by: BERKSHIRE HATHAWAY HOMESERVICES GA PROPERTIES