2671 Harbins Road Se, Bethlehem, GA 30620
Local realty services provided by:Better Homes and Gardens Real Estate Jackson Realty
2671 Harbins Road Se,Bethlehem, GA 30620
$1,400,000
- 19.5 Acres
- Lots / Land
- Active
Listed by: meridith simes, lindsey hardy
Office: hill wood realty, llc.
MLS#:10676322
Source:METROMLS
Price summary
- Price:$1,400,000
About this home
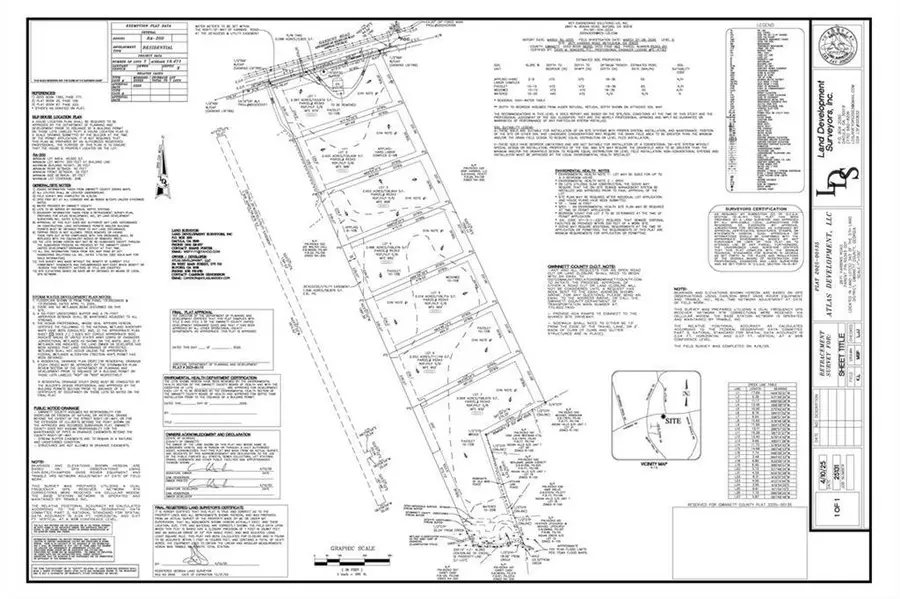
Outstanding Builder & Developer Opportunity in Gwinnett County! Situated along scenic Harbins Road, this 19.5-acre property offers seven expansive, fully platted estate lots ranging from 2.387 to 4.568 acres. The land features beautiful, gently sloping topography-perfect for custom homes. Located just minutes from Hwy 316 in a rapidly growing area, this site is surrounded by luxury homes priced between $1.4M and $1.8M on nearby Indian Shoals Road. A new middle school is coming soon, adding even more value to this in-demand corridor. Buyer will be responsible for installing the shared driveway, connecting utilities (water, electricity, septic), and removing the existing house currently on the property. A rare chance to build in one of the most sought-after growth areas in Gwinnett County!
Contact an agent
Home facts
- Listing ID #:10676322
- Updated:February 13, 2026 at 11:54 AM
Structure and exterior
- Lot area:19.5 Acres
Schools
- High school:Archer
- Middle school:Mcconnell
- Elementary school:Harbins
Utilities
- Water:Public
- Sewer:Public Sewer
Finances and disclosures
- Price:$1,400,000
- Tax amount:$2,182 (2024)
New listings near 2671 Harbins Road Se
- New
$220,000Active11.04 Acres0 J B Owens Road, Bethlehem, GA 30620
MLS# 10690069Listed by: Keller Williams Greater Athens - New
$324,900Active3 beds 3 baths1,765 sq. ft.236 Vision Street, Bethlehem, GA 30620
MLS# 10690398Listed by: Keller Williams West Atlanta - New
$430,000Active4 beds 3 baths3,096 sq. ft.3243 Lowell Road, Bethlehem, GA 30620
MLS# 10687174Listed by: PalmerHouse Properties - New
$397,900Active3 beds 2 baths1,698 sq. ft.1071 Covenant Court, Bethlehem, GA 30620
MLS# 7710898Listed by: EXP REALTY, LLC. - New
$374,900Active4 beds 3 baths1562 Pointe South Circle, Bethlehem, GA 30620
MLS# 10686484Listed by: Keller Williams Rlty Atl. Part - New
$665,000Active4 beds 4 baths3,407 sq. ft.100 Tanners Bridge Road, Bethlehem, GA 30620
MLS# 10686358Listed by: PalmerHouse Properties - New
$519,000Active4 beds 3 baths2,292 sq. ft.204 Lynn Road, Bethlehem, GA 30620
MLS# 7714016Listed by: KELLER WILLIAMS REALTY ATLANTA PARTNERS - Open Sun, 2 to 4pmNew
$329,000Active3 beds 2 baths1,557 sq. ft.106 Carterdale Court, Bethlehem, GA 30620
MLS# 10683880Listed by: Winston White Realty
$329,900Active3 beds 2 baths1,356 sq. ft.907 Downing Drive, Bethlehem, GA 30620
MLS# 10682510Listed by: Homes USA
$380,990Active5 beds 3 baths2,722 sq. ft.23 Rowlett Place, Bethlehem, GA 30620
MLS# 7712097Listed by: STARLIGHT HOMES GEORGIA REALTY LLC