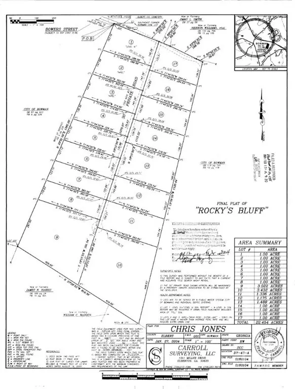
0 Bowers Street #LOT 1-8, Bowman, GA 30624
Local realty services provided by:Better Homes and Gardens Real Estate Treasure
0 Bowers Street #LOT 1-8,Bowman, GA 30624
$219,000
- 8 Acres
- Lots / Land
- Active
Listed by: a.j. purcell, kassie hodges
Office: keller williams greater athens
MLS#:CL335681
Source:NC_CCAR
Price summary
- Price:$219,000
About this home
8 lots in a private subdivision for sale! Final plat was issued years ago. 8 - 1 acre lots on a private road. Buyer to verify water details and road details. Water is available at Bowers st but must be brought down the private road. Septic lots, soil test in associated documents. Bowman regulations require 1.5 acre for manufactured homes.
Contact an agent
Home facts
- Listing ID #:CL335681
- Added:190 day(s) ago
- Updated:April 25, 2026 at 10:19 AM
Structure and exterior
- Lot area:8 Acres
Schools
- High school:Elbert County
- Middle school:Elbert County
- Elementary school:Elbert Co Primary/Elem
Finances and disclosures
- Price:$219,000
New listings near 0 Bowers Street #LOT 1-8
- New
$220,000Active3 beds 2 baths1,368 sq. ft.1541 Turman Road, Bowman, GA 30624
MLS# 10735846Listed by: Beycome Brokerage Realty LLC - New
$756,000Active-- beds -- baths0 Sand Hill Road, Bowman, GA 30624
MLS# 10733736Listed by: Georgia Land Brokerage
$1,600,000Active4 beds 4 baths3,800 sq. ft.630 Human Road, Bowman, GA 30624
MLS# 10728124Listed by: Living Down South Realty
$219,000Active3 beds 2 baths225 Rehoboth Road, Bowman, GA 30624
MLS# 10726414Listed by: Hartland Farm and Home Realty
$329,900Active3 beds 2 baths2,032 sq. ft.100 S Broad Street, Bowman, GA 30624
MLS# 10720240Listed by: RE/MAX Complete
$290,000Active5 beds 3 baths2,368 sq. ft.440 Beaver Creek Road, Bowman, GA 30624
MLS# 10713070Listed by: Charlene's Lakeside Realty
$489,000Active4 beds 3 baths2,129 sq. ft.1211 Parham Town Road, Bowman, GA 30624
MLS# 10711294Listed by: Magnolia Realty & PropertyManagement
$465,000Active3 beds 3 baths2,935 sq. ft.494 S Broad Street, Bowman, GA 30624
MLS# 10706755Listed by: EXIT For Sale Realty
$1,150,000Active3 beds 1 baths1,248 sq. ft.787 Parham Town Road, Bowman, GA 30624
MLS# 10703984Listed by: Keller Williams Realty Atl. Partners
$39,300Active1.01 Acres0 Fork Creek Road, Bowman, GA 30624
MLS# 10702901Listed by: UC Premier Properties