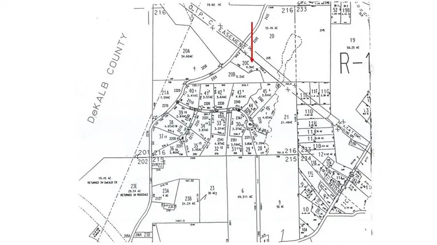
2389 Lake Capri Road Nw, Conyers, GA 30012
Local realty services provided by:Better Homes and Gardens Real Estate Metro Brokers
2389 Lake Capri Road Nw,Conyers, GA 30012
$79,900
- 4.9 Acres
- Lots / Land
- Active
Listed by: nikhil sharma
Office: top brokerage, llc.
MLS#:7678828
Source:FIRSTMLS
Price summary
- Price:$79,900
About this home
Discover the perfect blend of privacy and potential on this beautiful 4.9-acre parcel in the established Lake Capri community. Zoned R-1, this property offers a rare opportunity to build your dream home on acreage or for an investor to develop within a serene, well-kept community. Enjoy the peaceful setting just minutes from Lake Capri and convenient access to I-20, shopping, dining, and downtown Conyers. Don’t miss this chance to own nearly 5 acres in a sought-after location with endless possibilities.
Contact an agent
Home facts
- Listing ID #:7678828
- Updated:November 09, 2025 at 12:54 AM
Structure and exterior
- Lot area:4.9 Acres
Schools
- High school:Rockdale County
- Middle school:Edwards
- Elementary school:House
Utilities
- Water:Water Available
- Sewer:Sewer Available
Finances and disclosures
- Price:$79,900
- Tax amount:$847 (2024)
New listings near 2389 Lake Capri Road Nw
- New
$315,000Active3 beds 3 baths1,868 sq. ft.217 Limestone Circle, Conyers, GA 30013
MLS# 7678963Listed by: ATLANTA COMMUNITIES - New
$349,000Active4 beds 3 baths2,087 sq. ft.5162 Kurt Lane Sw, Conyers, GA 30094
MLS# 10640444Listed by: Crye-Leike, Realtors - New
$209,000Active3 beds 2 baths1,245 sq. ft.1461 Cherry Hill Road Sw, Conyers, GA 30094
MLS# 7678818Listed by: ROCK RIVER REALTY, LLC. - New
$267,900Active3 beds 2 baths1,644 sq. ft.650 Jefferson Drive Sw, Conyers, GA 30094
MLS# 10640380Listed by: Summit Realty Group - New
$325,000Active4 beds 3 baths2,144 sq. ft.1903 Cobblestone Court, Conyers, GA 30012
MLS# 7678766Listed by: KELLER WILLIAMS REALTY PEACHTREE RD. - New
$294,980Active3 beds 3 baths1,865 sq. ft.2254 Ashton Drive, Conyers, GA 30013
MLS# 7678697Listed by: MERITAGE HOMES OF GEORGIA REALTY, LLC - New
$419,000Active4 beds 3 baths2,664 sq. ft.1332 Wild Rose Drive Se, Conyers, GA 30013
MLS# 7678361Listed by: MAXIMUM ONE EXECUTIVE REALTORS
$418,720Pending4 beds 3 baths2,506 sq. ft.309 Cedar Hollow Drive, Conyers, GA 30094
MLS# 7678379Listed by: ROCKHAVEN REALTY, LLC- New
$415,000Active4 beds 4 baths2,708 sq. ft.6460 Bellevue Drive Sw, Conyers, GA 30094
MLS# 7677694Listed by: VIRTUAL PROPERTIES REALTY.COM