635 North Grove Street, Dahlonega, GA 30533

Local realty services provided by:Better Homes and Gardens Real Estate Metro Brokers
635 North Grove Street,Dahlonega, GA 30533
$925,000
  • 13.69 Acres
  • Lots / Land
  • Active
Listed by: chris aloi
Office: keller williams realty atlanta partners
MLS#:7722344
Source:FIRSTMLS

Price summary

  • Price:$925,000

About this home

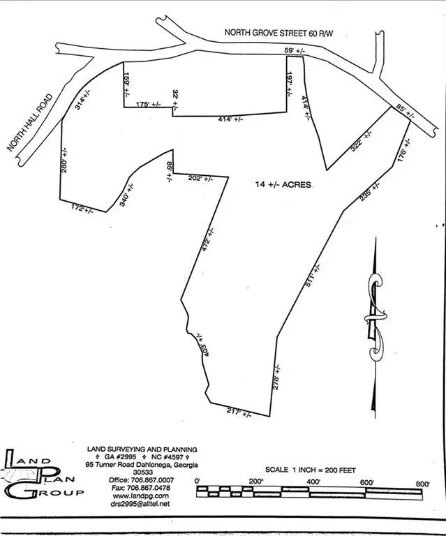
Huge potential with this Large tract of in-city acreage with 2 road fronts (North Grove St and North Hall Road, See Plat). Prime Time acreage that is walking distance to downtown and Lumpkin Co Elementary and Middle school. Multi-family is possible with rezoning. Utilities are connected at the street. 3 Lots sold together for a total of 13.69 Acres. BRING ALL OFFERS!!!

Contact an agent

contact an agent

Yes, I would like more information. Please use and/or share my information with a BHGRE®  affiliated agent to contact me about my real estate needs. By clicking Send message, I request to be contacted by phone or text message and consent to being contacted by automated means. I understand that my consent to receive calls or texts is not a condition of purchasing any property, goods, or services. Alternatively, I understand that I can access real estate services by email or I can contact the agent myself.

If a BHGRE®  affiliated agent is not available in the area where I need assistance, I agree to be contacted by a real estate agent affiliated with another brand owned or licensed by Anywhere Real Estate (CENTURY 21® , Coldwell Banker® , Corcoran® , ERA® , Sotheby's International Realty® ).
 I acknowledge that I have read and agree to theTerms of useandPrivacy notice

Home facts

  • Listing ID #:7722344
  • Updated:April 23, 2026 at 01:32 PM

Structure and exterior

  • Lot area:13.69 Acres
  • Lot Features:Level, Sloped

Schools

  • High school:Lumpkin County
  • Middle school:Lumpkin County
  • Elementary school:Cottrell

Utilities

  • Water:Water Available
  • Sewer:Sewer Available

Finances and disclosures

  • Price:$925,000
  • Tax amount:$3,843 (2023)
MLS LogoListings identified with the FMLS IDX logo come from FMLS and are held by brokerage firms other than the owner of this website. The listing brokerage is identified in any listing details. Information is deemed reliable but is not guaranteed. If you believe any FMLS listing contains material that infringes your copyrighted work please click here (https://www.fmls.com/dmca) to review our DMCA policy and learn how to submit a takedown request. ©2026 First Multiple Listing Service, Inc.