TR1TR3 Flat Branch Trail, Ellijay, GA 30540
Local realty services provided by:Better Homes and Gardens Real Estate Metro Brokers
TR1TR3 Flat Branch Trail,Ellijay, GA 30540
$179,999
- 20.91 Acres
- Lots / Land
- Active
Listed by: leah cleminshaw
Office: georgia highlands realty
MLS#:7571889
Source:FIRSTMLS
Price summary
- Price:$179,999
About this home
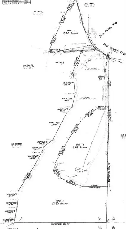
Almost 21 acres with no HOA and unrestricted living with lots of privacy depending on where you build! Zoned agriculture you can use this land for so many purposes like hunting, farming, camping, running ATVs, or building any type of home that city and county ordinances allow. Located near the end of a road and just past rolling pastures you'll find 2 tracts (TR 1 & TR 3) that have been combined into 1 parcel. At the road you'll find TR 3 on the left, and TR 1 on the right - they are separated by a driveway easement so it is easy to find. TR 1 is triangular in shape and slopes gently upward to a rolling slope, has a walkable grade with wonderful building sites of your choosing. TR 3 is where all the fun is! Think of it in 3 sections: the front section is rolling terrain, the middle is a seasonal creek running down the center with the path at the side, and the large back section where you'll cross the creek and walk uphill. At the road front look for another easement driveway near the left boundary on the front portion. Looking from Flat Branch Trl roadside you'll find a wide path in the middle of the parcel that will take you on a walk almost all the way to the back of this long parcel. There are several building sites on this tract. You'll see an old mobile home on the survey that is no longer there which is a nice area. If you're looking for ultimate privacy you can build way to the back Southern-most portion which rises up a hill and may possible produce some amazing mountain views and very few homes nearby. Paved road most of the way. In the photos you'll find the survey, and some marked up satellite images to help you find approximate location of landmarks. Take a copy of the survey and landmark images you'll find in the photos. A compass helps too.
Contact an agent
Home facts
- Listing ID #:7571889
- Updated:November 16, 2025 at 02:30 PM
Structure and exterior
- Lot area:20.91 Acres
Schools
- High school:Gilmer
- Middle school:Gilmer - Other
- Elementary school:Ellijay
Finances and disclosures
- Price:$179,999
- Tax amount:$969 (2024)
New listings near TR1TR3 Flat Branch Trail
- New
Listed by BHGRE$365,000Active1 beds 1 baths708 sq. ft.491 Old Parker Terrace, Ellijay, GA 30536
MLS# 7682089Listed by: BHGRE METRO BROKERS - New
$369,900Active3 beds 2 baths2,076 sq. ft.302 Zenith Trail, Ellijay, GA 30540
MLS# 10642094Listed by: New Life Realty Group - New
$11,900Active2.09 AcresLOT 627 Novel Court #627, Ellijay, GA 30540
MLS# 10642290Listed by: Mountain Aire Realty, Inc. - New
$419,777Active2 beds 2 baths1,300 sq. ft.114 Hunterhill Way, Ellijay, GA 30540
MLS# 10642318Listed by: RE/MAX Town & Country - New
$559,900Active3 beds 3 baths2,054 sq. ft.52 Mccollum Road, Ellijay, GA 30540
MLS# 10642384Listed by: RE/MAX Town & Country - New
$99,900Active6.21 Acres31&32 Foxpaw Leaf Lane, Ellijay, GA 30536
MLS# 10642962Listed by: RE/MAX Town & Country - New
$399,777Active3 beds 2 baths1,640 sq. ft.334 Ponderosa Road, Ellijay, GA 30540
MLS# 10642972Listed by: RE/MAX Town & Country - New
$1,875,000Active5 beds 7 baths4,702 sq. ft.207 Utana Bluffs Trail, Ellijay, GA 30540
MLS# 10643014Listed by: RE/MAX Town & Country - New
$74,000Active3.28 AcresLOT 9 Eastview Trail, Ellijay, GA 30536
MLS# 10643024Listed by: RE/MAX Town & Country - New
$749,900Active2 beds 3 baths2,694 sq. ft.21 Crown Court, Ellijay, GA 30540
MLS# 7681975Listed by: RE/MAX TOWN AND COUNTRY