377 Hillsboro Lake Road, Hillsboro, GA 31038
Local realty services provided by:Better Homes and Gardens Real Estate Jackson Realty
377 Hillsboro Lake Road,Hillsboro, GA 31038
$171,000
- - Beds
- - Baths
- - sq. ft.
- Farm
- Active
Listed by: scotty dumas
Office: fickling & company inc.
MLS#:10716649
Source:METROMLS
Price summary
- Price:$171,000
About this home
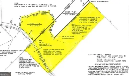
The property is located in northern Jones County east of round Oak, Georgia, and south of Hillsboro, Georgia. The track is heavily wooded with lots of mature Pines and mixed hard woods. With 985 feet footage on Hillsboro Lake Road. and borders Glady Creek for 1300 ft. Glady creek is the property line and flows through the tract. This tract is located in the heart of deer and turkey hunting country. Lots of wildlife and lots of US forest land in the immediate area and across from property. This property is enrolled in the CUVA property tax program until 2028. However, you can still build on the property. Property starts at Glady Creek...look for pink flagging. Also on this property is a 20'x40' shed/canopy with concrete flooring and an old camper. Old well and septic system. NO INFORMATION IS AVAILABLE ON THE CONDITION OF ANY OF THE IMPROVEMENTS. There is no seller's disclosure-the owners know nothing about the condition of well or septic system. A small portion of the track (1.26 acre) is across the Hillsboro Lake Road. This property sells in its ''as is'' ''where is'' condition, with no warrants given from sellers as to condition of well, septic system, camper, or shed. Any potential buyer should do their own due diligence and feel comfortable with their own findings. This property also joins 324 Hillsboro Lake Road which is also listed. For sale see listing....
Contact an agent
Home facts
- Listing ID #:10716649
- Updated:March 31, 2026 at 10:43 AM
Structure and exterior
- Lot area:19.53 Acres
Schools
- High school:Jones
- Middle school:Gray Station
- Elementary school:Gray
Utilities
- Water:Private
- Sewer:Septic Tank
Finances and disclosures
- Price:$171,000
- Tax amount:$869 (2024)
New listings near 377 Hillsboro Lake Road
$139,900Active-- beds -- baths7.63 ACRES Mcmichael Road, Monticello, GA 31064
MLS# 10677876Listed by: Heart Land Realty
$595,000Active4 beds 4 baths2,846 sq. ft.76 Brookhollow Drive, Monticello, GA 31064
MLS# 10698044Listed by: Keller Williams Premier
$624,999Active4 beds 3 baths2,850 sq. ft.184 Clearview Drive W, Monticello, GA 31064
MLS# 10697666Listed by: Beycome Brokerage Realty LLC
$1,770,000Active5 beds 5 baths5,430 sq. ft.5700 Goolsby Road, Monticello, GA 31064
MLS# 10666199Listed by: Keller Williams Premier
$5,600,000Active-- beds -- baths8841 Highway 11 S, Monticello, GA 31064
MLS# 10629998Listed by: Southern Edge Realty LLC
$249,900Active5 beds 2 baths2,192 sq. ft.4517 Ga Highway 11 S, Hillsboro, GA 31038
MLS# 10606079Listed by: Dana Leach Realty
$850,000Active170.51 Acres0 Felton Mcmichael Road, Monticello, GA 31064
MLS# 10593100Listed by: LandMart.com LLC