00 Brockton Loop, Jefferson, GA 30549
Local realty services provided by:Better Homes and Gardens Real Estate Metro Brokers
00 Brockton Loop,Jefferson, GA 30549
$100,000
- 1.5 Acres
- Lots / Land
- Active
Listed by: chris bray
Office: braselton real estate group, inc.
MLS#:7681398
Source:FIRSTMLS
Price summary
- Price:$100,000
About this home
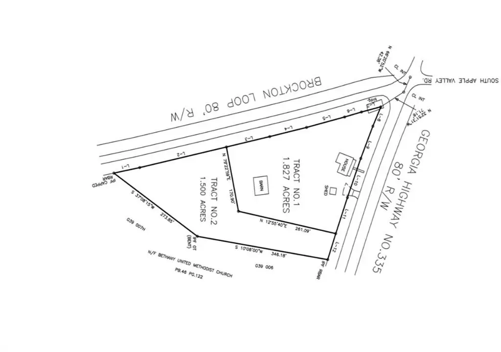
1.5 acre lot ready for your dream home, you can build or pick out a new manufactered home for this lot. Perfect location in the Brockton Rd community. Rural location but still convenient to Jefferson, Commerce and Athens. Lot has been cleared, gravel driveway installed, septic permit on file. tax id 038 034B and Tract 2 is a portion of 038 034B on survey photo. More photos soon.
Contact an agent
Home facts
- Listing ID #:7681398
- Updated:November 14, 2025 at 11:12 PM
Structure and exterior
- Lot area:1.5 Acres
Schools
- High school:East Jackson
- Middle school:East Jackson
- Elementary school:East Jackson
Utilities
- Water:Water Available
Finances and disclosures
- Price:$100,000
New listings near 00 Brockton Loop
- New
$819,900Active4 beds 4 baths3,912 sq. ft.920 Traditions Way, Jefferson, GA 30549
MLS# 7681864Listed by: HARRY NORMAN REALTORS - Coming Soon
$604,930Coming Soon5 beds 4 baths1123 Pine Valley Trl Lane, Jefferson, GA 30549
MLS# 7681767Listed by: PULTE REALTY OF GEORGIA, INC. - New
$599,000Active5 beds 3 baths2,918 sq. ft.3984 Meadowland Drive, Jefferson, GA 30549
MLS# 10643623Listed by: Hammock Realty North Georgia - Coming Soon
$390,000Coming Soon3 beds 2 baths66 Wren Avenue, Jefferson, GA 30549
MLS# 7681720Listed by: VIRTUAL PROPERTIES REALTY.COM - Coming Soon
$524,000Coming Soon4 beds 4 baths748 Hawkins Creek Drive, Jefferson, GA 30549
MLS# 7681037Listed by: GA REALTY, LLC. - New
$359,900Active3 beds 3 baths1,890 sq. ft.284 Oak Street, Jefferson, GA 30549
MLS# 7681531Listed by: EXP REALTY, LLC. - New
$390,000Active4 beds 2 baths2,056 sq. ft.70 Tysor Court, Jefferson, GA 30549
MLS# 7681474Listed by: KELLER WILLIAMS REALTY ATLANTA PARTNERS - New
$430,000Active4 beds 3 baths2,137 sq. ft.480 Redtail Road, Jefferson, GA 30549
MLS# 7681448Listed by: BERKSHIRE HATHAWAY HOMESERVICES GEORGIA PROPERTIES - New
$380,000Active4 beds 3 baths2,026 sq. ft.1210 Jefferson Walk Circle, Jefferson, GA 30549
MLS# 7681319Listed by: HEARTLAND REAL ESTATE, LLC