803 Chestnut Hill Road Sw, Marietta, GA 30064
Local realty services provided by:Better Homes and Gardens Real Estate Metro Brokers
803 Chestnut Hill Road Sw,Marietta, GA 30064
$359,900
- 1.78 Acres
- Lots / Land
- Active
Listed by: connie carlson678-488-9646
Office: real broker, llc.
MLS#:7683724
Source:FIRSTMLS
Price summary
- Price:$359,900
About this home
Prime Development Opportunity or Dream Home Site in Marietta
Located in one of Marietta’s most sought-after areas, this 1.82-acre parcel presents a rare opportunity for investors and homeowners alike. Just 2.5 miles from downtown Marietta, this property offers easy access to shopping, dining, festivals, and entertainment while maintaining a sense of privacy and tranquility.
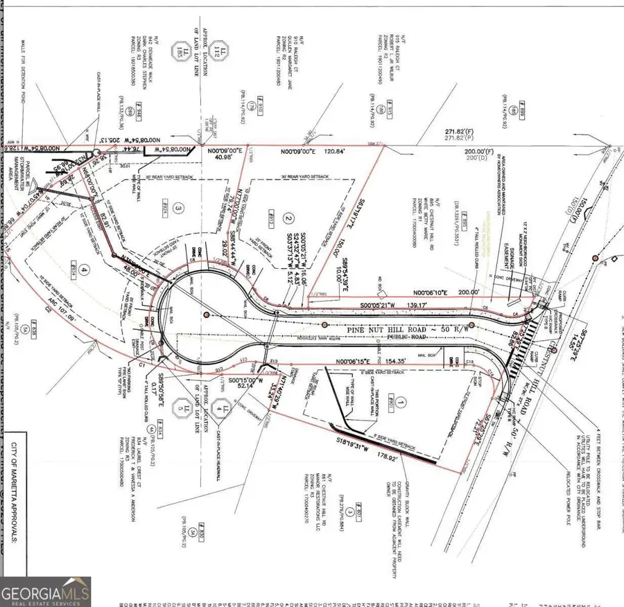
For developers, this land was originally approved in 2019 for four single-family homes. The approved plat and civil plans are available for review. These plans are for reference only. The city would need to reapprove any future development plans.
Alternatively, for those seeking to build a custom dream home, this expansive lot offers the perfect canvas. Surrounded by newly constructed luxury homes, the property provides a prime location for a private estate. The land is currently wooded, with a relatively flat front and a gentle slope in the back, making it ideal for a walk-out basement and a beautifully landscaped backyard.
Positioned just outside the highly desirable Whitlock Heights and near the entrance of Charlton Forge, this lot offers both prestige and convenience. Finding a lot like this in Marietta is rare—don’t miss your chance to make it yours!
For more details, including previous site plans and plats, contact us today.
Contact an agent
Home facts
- Listing ID #:7683724
- Updated:November 19, 2025 at 11:44 PM
Structure and exterior
- Lot area:1.78 Acres
Schools
- High school:Marietta
- Middle school:Marietta
- Elementary school:Hickory Hills
Utilities
- Water:Water Available
Finances and disclosures
- Price:$359,900
- Tax amount:$591 (2024)
New listings near 803 Chestnut Hill Road Sw
- New
$3,590,000Active6 beds 7 baths6,500 sq. ft.4402 Blackland Drive, Marietta, GA 30067
MLS# 7685113Listed by: ATLANTA COMMUNITIES - New
$863,599Active4 beds 4 baths3,320 sq. ft.2715 Byess Court, Marietta, GA 30064
MLS# 7685020Listed by: TRATON HOMES REALTY, INC. - New
$764,364Active5 beds 4 baths2,845 sq. ft.2763 Byess Court, Marietta, GA 30064
MLS# 7684828Listed by: TRATON HOMES REALTY, INC. - New
$470,000Active4 beds 3 baths1,198 sq. ft.1976 Grove Field Lane #BLDG 33, Marietta, GA 30064
MLS# 10648156Listed by: Keller Williams West Atlanta - Coming Soon
$875,000Coming Soon4 beds 4 baths4302 Highborne Drive, Marietta, GA 30066
MLS# 7684723Listed by: ATLANTA FINE HOMES SOTHEBY'S INTERNATIONAL - New
$569,900Active4 beds 4 baths3,202 sq. ft.3355 Carolina Wren Trail, Marietta, GA 30060
MLS# 7684752Listed by: ALLEN AND ASSOCIATES REALTY, LLC. - New
$55,000Active0.13 Acres701 Springhollow Lane Sw, Marietta, GA 30008
MLS# 10648027Listed by: Keller Williams Rlty Atl. Part - New
$625,000Active5 beds 5 baths4,046 sq. ft.4121 Fawn Court, Marietta, GA 30068
MLS# 7676923Listed by: ATLANTA COMMUNITIES - New
$265,000Active2 beds 3 baths1,464 sq. ft.805 Manning Way Sw, Marietta, GA 30064
MLS# 7684718Listed by: ANSLEY REAL ESTATE| CHRISTIE'S INTERNATIONAL REAL ESTATE - New
$452,681Active4 beds 4 baths2,375 sq. ft.3730 Willingham Run Sw, Marietta, GA 30008
MLS# 7684757Listed by: TAYLOR MORRISON REALTY OF GEORGIA, INC.