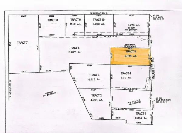
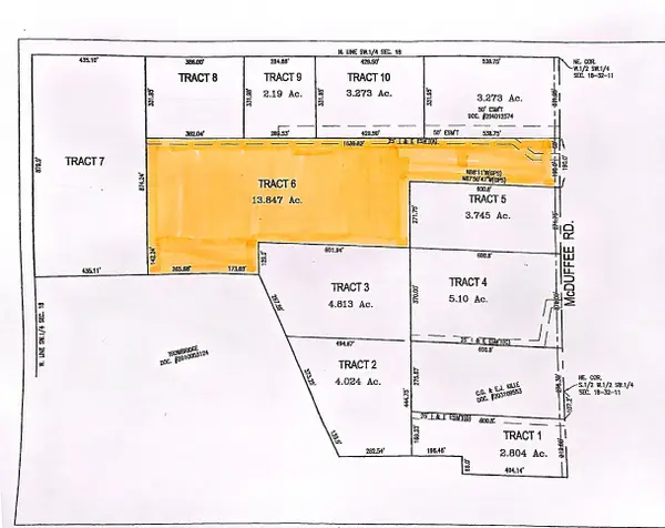
TBD Mcduffee - (tract 3) Road, Churubusco, IN 46723
Local realty services provided by:Better Homes and Gardens Real Estate Connections
TBD Mcduffee - (tract 3) Road,Churubusco, IN 46723
$170,000
- 4.81 Acres
- Lots / Land
- Active
Listed by: nikki king
Office: king realty, llc.
MLS#:202601082
Source:Indiana Regional MLS
Price summary
- Price:$170,000
About this home
If you have been looking for LAND in the COUNTRY then THIS MIGHT BE IT! Northwest Allen County School District. There are additional lots available. Just outside of a SMALL TOWN with its conveniences, yet not far from the hustle bustle of Fort Wayne. Walking Property is by Appointment Only. *DO NOT PARK ON ANY DRIVEWAYS - THEY ARE NOT OWNED BY SELLER AND PRIVATELY OWNED BY ADJACENT PROPERTY OWNERS. Soil tests completed.
Contact an agent
Home facts
- Listing ID #:202601082
- Added:345 day(s) ago
- Updated:March 27, 2026 at 02:59 PM
Structure and exterior
- Lot area:4.81 Acres
Schools
- High school:Carroll
- Middle school:Carroll
- Elementary school:Huntertown
Finances and disclosures
- Price:$170,000
- Tax amount:$151
New listings near TBD Mcduffee - (tract 3) Road
- New
$379,900Active6 beds 3 baths2,400 sq. ft.4944 S 200 E-57, Churubusco, IN 46723
MLS# 202609217Listed by: HOSLER REALTY INC
$189,900Pending3 beds 1 baths996 sq. ft.246 Greenwood Circle, Churubusco, IN 46723
MLS# 202609002Listed by: AMERICAN DREAM TEAM REAL ESTATE BROKERS
$350,000Pending2 beds 2 baths1,420 sq. ft.6722 E Mcguire Road, Churubusco, IN 46723
MLS# 202608795Listed by: CENTURY 21 BRADLEY REALTY, INC
$147,000Pending2 beds 2 baths1,451 sq. ft.3201 N 850 East Road, Churubusco, IN 46723
MLS# 202603983Listed by: WIEGMANN AUCTIONEERS
$809,900Active3 beds 5 baths4,572 sq. ft.4783 Wea Way, Churubusco, IN 46723
MLS# 202608519Listed by: STERLING REALTY ADVISORS
$295,000Pending4 beds 2 baths2,538 sq. ft.331 Millstone Run, Churubusco, IN 46723
MLS# 202607058Listed by: MINEAR REAL ESTATE
$175,690Pending3 beds 2 baths1,296 sq. ft.18711 Mcduffee Road, Churubusco, IN 46723
MLS# 202606428Listed by: EXP REALTY, LLC- Open Sun, 1 to 4pm
$377,333Active3 beds 2 baths2,176 sq. ft.8125 E U.s. 33 Highway, Churubusco, IN 46723
MLS# 202605492Listed by: KING REALTY, LLC
$1Pending3 beds 3 baths3,256 sq. ft.16326 Wappes Road, Churubusco, IN 46723
MLS# 202605069Listed by: SCHRADER RE AND AUCTION/FORT W
$255,000Pending5 beds 2 baths2,096 sq. ft.322 N Line Street, Churubusco, IN 46723
MLS# 202605032Listed by: KELLER WILLIAMS REALTY GROUP