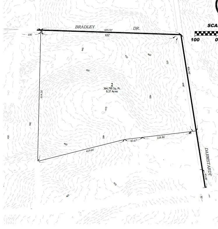
Parcel 2 Darmstadt Road, Evansville, IN 47710
Local realty services provided by:Better Homes and Gardens Real Estate Connections
Parcel 2 Darmstadt Road,Evansville, IN 47710
$299,000
- 8.27 Acres
- Lots / Land
- Active
Listed by: joe kieferOffice: 812-477-6980
Office: hahn kiefer real estate services
MLS#:202544554
Source:Indiana Regional MLS
Price summary
- Price:$299,000
About this home
The property is currently in 4 large parcels. The Sellers intentions are to parcelize the property as parcels are sold. Property taxes are estimated at $44 per acre. This is an estimate and is subject to change. The property will need to be surveyed and parceled prior to closing. Seller will pay for parcel and survey. Sizes of each parcel may be adjusted subject to Sellers approval. Before entering the properties, all parties will need to sign a Hold Harmless Agreement.
Contact an agent
Home facts
- Listing ID #:202544554
- Added:143 day(s) ago
- Updated:March 27, 2026 at 02:59 PM
Structure and exterior
- Lot area:8.27 Acres
Schools
- High school:Central
- Middle school:Thompkins
- Elementary school:Highland
Utilities
- Water:Available, City
- Sewer:City
Finances and disclosures
- Price:$299,000
- Tax amount:$44
New listings near Parcel 2 Darmstadt Road
- New
$179,000Active2 beds 1 baths977 sq. ft.3103 W Virginia Street, Evansville, IN 47712
MLS# 202610259Listed by: KELLER WILLIAMS CAPITAL REALTY - Open Sun, 12 to 1:30pmNew
$290,000Active3 beds 2 baths2,316 sq. ft.6617 W Mill Road, Evansville, IN 47720
MLS# 202610235Listed by: F.C. TUCKER EMGE - New
$489,900Active4 beds 3 baths3,646 sq. ft.414 Brook Meadow Circle, Evansville, IN 47711
MLS# 202610246Listed by: KELLER WILLIAMS ELITE - New
$130,000Active1 beds 1 baths864 sq. ft.927 W Idlewild Drive, Evansville, IN 47710
MLS# 202610251Listed by: CATANESE REAL ESTATE - New
$134,900Active3 beds 2 baths2,100 sq. ft.5012 Helmuth Avenue, Evansville, IN 47715
MLS# 202610229Listed by: PARADIGM REALTY SOLUTIONS - New
$254,900Active3 beds 2 baths1,450 sq. ft.214 Shane Court, Evansville, IN 47715
MLS# 202610216Listed by: PINNACLE REALTY GROUP - Open Sun, 2:30 to 4pmNew
$194,900Active3 beds 2 baths1,172 sq. ft.4537 Greencove Avenue, Evansville, IN 47714
MLS# 202610219Listed by: F.C. TUCKER EMGE - New
$49,999Active2 beds 2 baths1,510 sq. ft.1013 E Chandler Avenue, Evansville, IN 47714
MLS# 202610201Listed by: STAR REAL ESTATE SALES AND SERVICE CORPORATION - Open Sun, 1 to 3pm
$279,900Pending4 beds 3 baths2,556 sq. ft.710 W Mount Pleasant Road, Evansville, IN 47711
MLS# 202610204Listed by: RE/MAX REVOLUTION - Open Sun, 12 to 1:30pmNew
$200,000Active3 beds 1 baths1,075 sq. ft.5213 Warren Drive, Evansville, IN 47711
MLS# 202610197Listed by: KELLER WILLIAMS CAPITAL REALTY