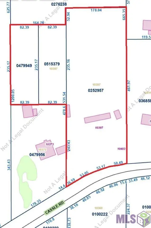
10397 Cassle Rd, Denham Springs, LA 70726
Local realty services provided by:Better Homes and Gardens Real Estate Rhodes Realty
10397 Cassle Rd,Denham Springs, LA 70726
$299,000
- 2.88 Acres
- Lots / Land
- Active
Listed by: david a vercher
Office: kw commercial baton rouge
MLS#:BR2025008778
Source:LA_RAAMLS
Price summary
- Price:$299,000
About this home
Three land parcels totaling 2.88 acres. Primarily located in flood zone X. This is a great location for office warehouses or similar use. Located within 2 minutes of I-12 at Juban Rd. This tract is level and mostly cleared with utilities available at the street. 2 Mo-Dad waste systems on the property. Contact broker for additional information. - 2.88 Acres - Flood Zone X - Utilities Available
Contact an agent
Home facts
- Listing ID #:BR2025008778
- Added:206 day(s) ago
- Updated:April 24, 2026 at 03:13 PM
Structure and exterior
- Lot area:2.88 Acres
- Lot Features:Level, Rural
- Architectural Style:Commercial
Finances and disclosures
- Price:$299,000
New listings near 10397 Cassle Rd
- New
$239,900Active3 beds 2 baths1,418 sq. ft.1503 Weeping Willow Dr, Denham Springs, LA 70726
MLS# 2026007517Listed by: SMART MOVE REAL ESTATE - New
$75,000Active4 beds 2 baths2,053 sq. ft.9949 King Arthur Ave, Denham Springs, LA 70706
MLS# BR2026007501Listed by: PIVOT REALTY
$274,725Pending4 beds 2 baths1,825 sq. ft.35477 Forest Manor Ave, Denham Springs, LA 70706
MLS# BR2026007484Listed by: D.R. HORTON REALTY OF LOUISIAN
$274,900Pending4 beds 2 baths1,825 sq. ft.35441 Forest Manor Ave, Denham Springs, LA 70706
MLS# BR2026007487Listed by: D.R. HORTON REALTY OF LOUISIAN
$285,900Pending4 beds 2 baths2,051 sq. ft.35444 Forest Manor Ave, Denham Springs, LA 70706
MLS# BR2026007491Listed by: D.R. HORTON REALTY OF LOUISIAN- New
$255,900Active3 beds 2 baths1,549 sq. ft.35465 Forest Manor Ave, Denham Springs, LA 70706
MLS# BR2026007490Listed by: D.R. HORTON REALTY OF LOUISIAN
$277,900Pending4 beds 2 baths1,506 sq. ft.35519 Forest Manor Ave, Denham Springs, LA 70706
MLS# BR2026007469Listed by: D.R. HORTON REALTY OF LOUISIAN
$268,900Pending4 beds 2 baths1,825 sq. ft.35432 Forest Manor Ave, Denham Springs, LA 70706
MLS# BR2026007473Listed by: D.R. HORTON REALTY OF LOUISIAN
$272,900Pending4 beds 2 baths1,825 sq. ft.35456 Forest Manor Ave, Denham Springs, LA 70706
MLS# BR2026007475Listed by: D.R. HORTON REALTY OF LOUISIAN- New
$699,000Active1.6 Acres56283 Juban Rd, Denham Springs, LA 70726
MLS# BR2026007460Listed by: COVINGTON & ASSOCIATES REAL ESTATE, LLC