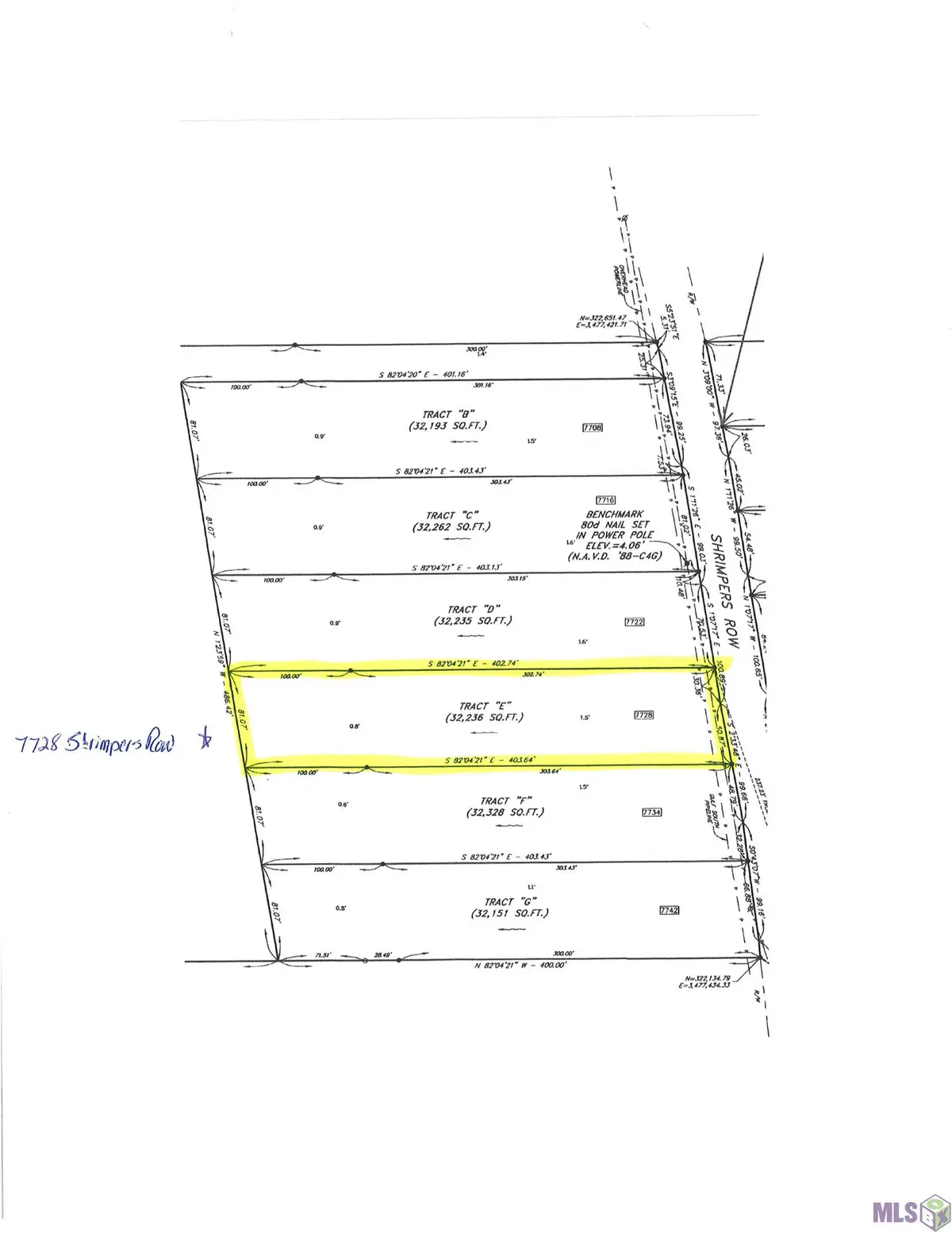
7728 Shrimpers Row, Dulac, LA 70353
Local realty services provided by:Better Homes and Gardens Real Estate Rhodes Realty
7728 Shrimpers Row,Dulac, LA 70353
$30,000
- 1.6 Acres
- Lots / Land
- Active
Listed by: cindy r price
Office: good earth realty, inc.
MLS#:BY2025000318
Source:LA_RAAMLS
Price summary
- Price:$30,000
About this home
Looking for the perfect spot to drop anchor and relax? This cleared lot is ready for your next adventure! Cleared and ready to go - Just bring your ideas! Boat launch access- right across the road for easy days on the water. Close to fishing- Angler-approved for trophy catches or just soaking up the serenity. Fisherman's dream location in the heart of Dulac- your gateway to the best fishing around.
Contact an agent
Home facts
- Listing ID #:BY2025000318
- Added:159 day(s) ago
- Updated:March 08, 2026 at 03:05 PM
Structure and exterior
- Lot area:1.6 Acres
- Lot Features:Level, Rural
- Architectural Style:Commercial
Finances and disclosures
- Price:$30,000
New listings near 7728 Shrimpers Row
- New
$30,000Active1.35 Acres7716 Shrimpers Row, Dulac, LA 70353
MLS# 2025000303Listed by: GOOD EARTH REALTY, INC. - New
$30,000Active1.6 Acres7728 Shrimpers Row, Dulac, LA 70353
MLS# 2025000318Listed by: GOOD EARTH REALTY, INC. - New
$55,000Active2.91 Acres8975 Grand Caillou Road, Dulac, LA 70353
MLS# 2025000804Listed by: GOOD EARTH REALTY, INC. - New
$55,000Active2.9 Acres8977 Grand Caillou Road, Dulac, LA 70353
MLS# 2025000805Listed by: GOOD EARTH REALTY, INC. - New
$229,900Active3 beds 3 baths2,575 sq. ft.6113 Shrimpers Row, Dulac, LA 70353
MLS# 2025005205Listed by: COLDWELL BANKER LARUSSA REAL ESTATE - New
$69,000Active1 beds 1 baths665 sq. ft.1058 Four Point Rd, Dulac, LA 70353
MLS# 2025007069Listed by: REAL ESTATE EXPRESS
$130,000Pending4 beds 3 baths1,656 sq. ft.1045 Four Point Rd, Dulac, LA 70353
MLS# 2025003496Listed by: KELLER WILLIAMS REALTY BAYOU P
$249,000Active3 beds 2 baths1,584 sq. ft.988 Four Point Rd, Dulac, LA 70353
MLS# BR2026001931Listed by: PINO & ASSOCIATES
$220,000Active3 beds 2 baths1,230 sq. ft.8294 Grouper Court, Dulac, LA 70353
MLS# 2500006829Listed by: ARCENEAUX REAL ESTATE, LLC
$329,500Active2 beds 2 baths1,073 sq. ft.162 Trosclair Ln, Dulac, LA 70353
MLS# BY2025022377Listed by: DREAM HOME REALTY, LLC