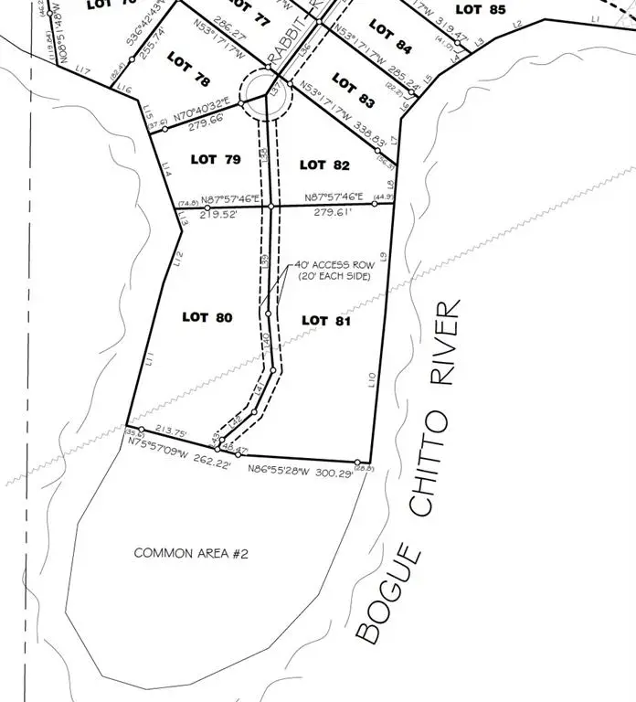
Lot 82 The Banks Drive - Hwy 16 Highway, Franklinton, LA 70438
Local realty services provided by:Better Homes and Gardens Real Estate Rhodes Realty
Lot 82 The Banks Drive - Hwy 16 Highway,Franklinton, LA 70438
$49,500
- 1.32 Acres
- Lots / Land
- Active
Listed by: christopher talbot
Office: talbot realty group
MLS#:NO2509076
Source:LA_RAAMLS
Price summary
- Price:$49,500
About this home
Premium Riverfront Lot - 1.32 Acres Lot #82 offers sweeping views of the beautiful Bogue Chitto River and is available for purchase individually or as part of a package with adjacent lots (see attached survey). Ready to #GetAway? Discover The Banks--a recreational riverfront subdivision just 25 miles north of downtown Covington. Owners enjoy access to over 10 acres of scenic common ground along the Bogue Chitto River, including a private beach for swimming, paddling, floating, fishing, and camping. Lot 82 is designated for Recreational Use and RVs only. Please reach out for the full list of available lots. Phase 1 and Phase 2 include options suitable for RV use as well as residential construction.
Contact an agent
Home facts
- Listing ID #:NO2509076
- Added:48 day(s) ago
- Updated:November 17, 2025 at 04:30 PM
Structure and exterior
- Lot area:1.32 Acres
Finances and disclosures
- Price:$49,500
New listings near Lot 82 The Banks Drive - Hwy 16 Highway
- New
$129,900Active2 beds 2 baths1,079 sq. ft.2460 Greenlaw Avenue, Franklinton, LA 70438
MLS# 2531063Listed by: CALAMARI REALTY - New
$269,000Active3 beds 3 baths2,265 sq. ft.46789 Highway 436 Highway, Franklinton, LA 70438
MLS# 2529984Listed by: GOINGS GROUP REAL ESTATE SERVICES, INC. - New
$139,900Active2 beds 1 baths1,008 sq. ft.1014 13th Avenue, Franklinton, LA 70438
MLS# 2530804Listed by: DOWNTOWN REALTY - New
$160,000Active24.3 Acrestbd 438 Highway, Franklinton, LA 70438
MLS# 2530824Listed by: TIM MILLER REALTY
$45,000Pending4.27 Acres46390 La Hwy 10, Franklinton, LA 70438
MLS# 137930Listed by: DOUG RUSHING REALTY, INC- New
$280,000Active4 beds 3 baths2,058 sq. ft.1630 Bickham Street, Franklinton, LA 70438
MLS# 2529456Listed by: GOINGS GROUP REAL ESTATE SERVICES, INC. - New
$610,000Active3 beds 2 baths1,881 sq. ft.21171 Simmons Road, Franklinton, LA 70438
MLS# 2529444Listed by: GOINGS GROUP REAL ESTATE SERVICES, INC. - New
$175,000Active3 beds 2 baths1,929 sq. ft.24494 Old Columbia Road, Franklinton, LA 70438
MLS# 2529648Listed by: DOWNTOWN REALTY - New
$450,000Active3 beds 3 baths2,370 sq. ft.40074 Archie Wallace Road, Franklinton, LA 70438
MLS# 2527726Listed by: REMAX ALLIANCE
$127,000Active3 beds 2 baths1,180 sq. ft.1605 Bickham Street, Franklinton, LA 70438
MLS# 2529488Listed by: GOINGS GROUP REAL ESTATE SERVICES, INC.